日本産カミキリムシ

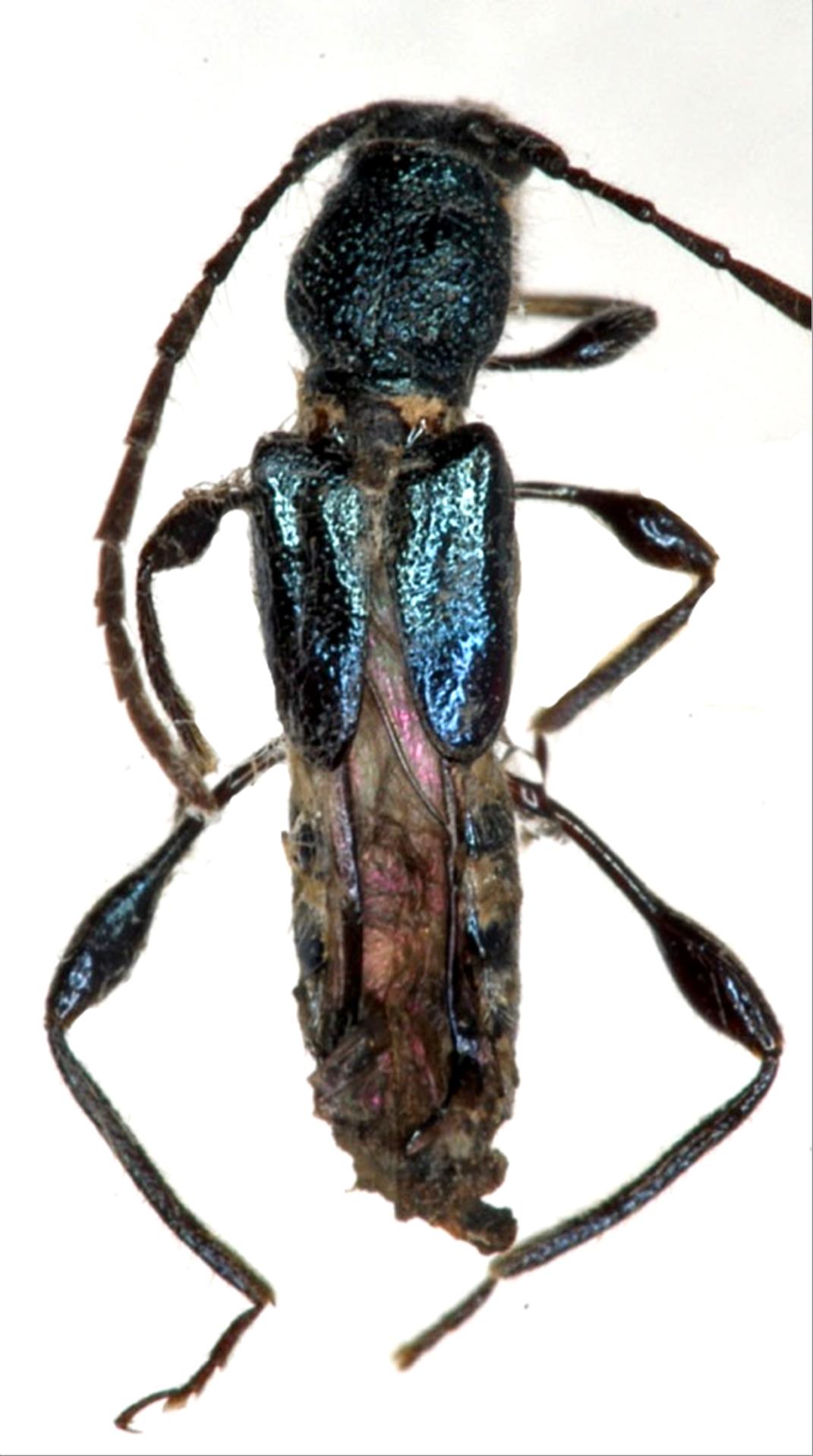
ルリヒゲナガコバネカミキリ
カミキリムシ科
カミキリ亜科


Glaphyra morii  Makihara, 1983
Cerambycidae
Cerambycinae
標本データ
性:メス
体長(mm):7
採集日:1984/02
採集地(国):日本
採集地(都道府県):鹿児島県
採集地(市町村):西之表市
採集地(詳細):種子島
更新日:2017/08/08


ウィンドウを閉じ,検索結果へ