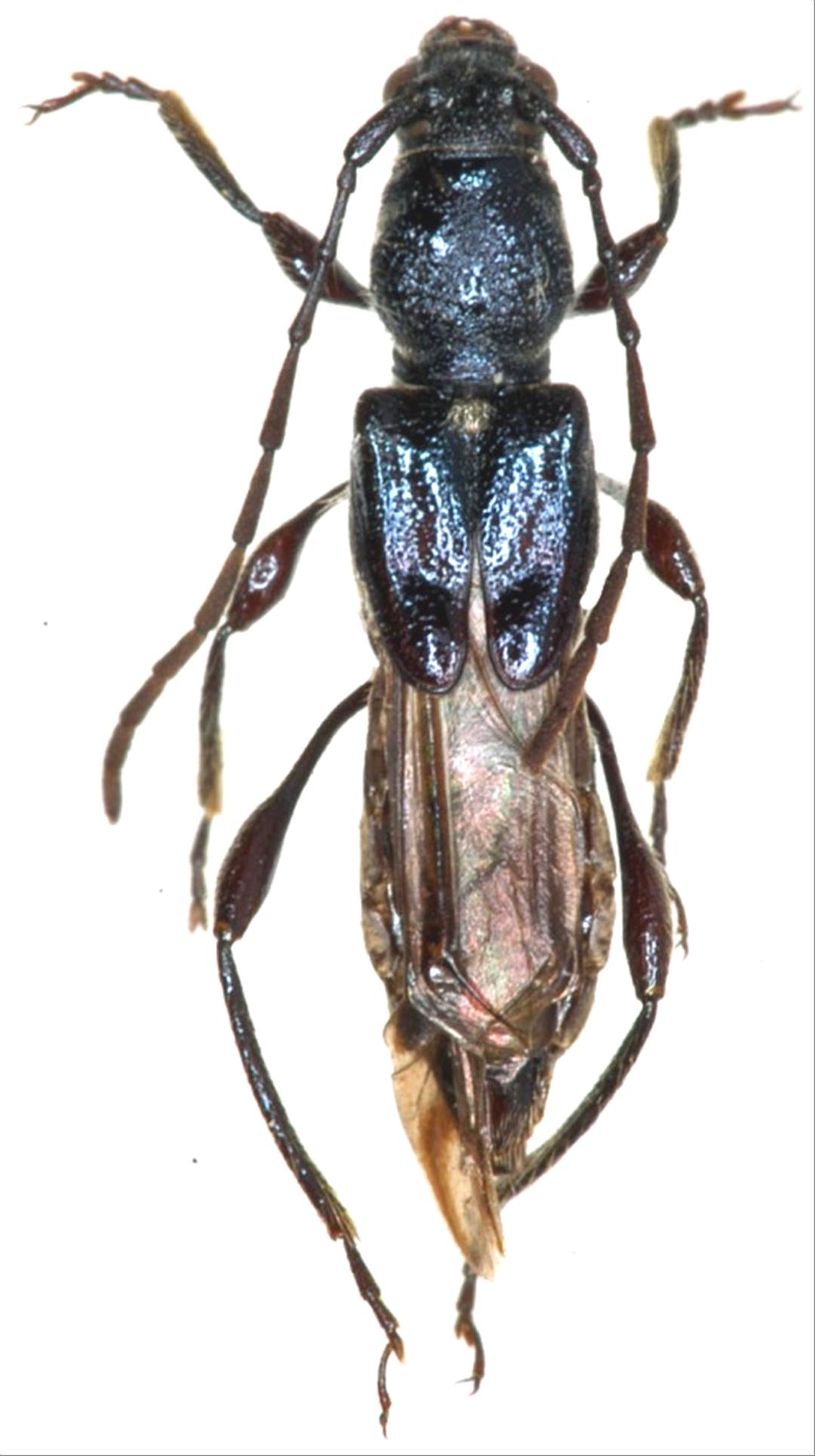
日本産カミキリムシ

コバルトヒゲナガコバネカミキリ
カミキリムシ科
カミキリ亜科


Glaphyra cobaltinus  Hayashi, 1963
Cerambycidae
Cerambycinae
標本データ
性:メス
体長(mm):9
採集日:1995/05/03
採集地(国):日本
採集地(都道府県):鹿児島県
採集地(市町村):大和村・福元
採集地(詳細):奄美大島
更新日:2017/08/08


ウィンドウを閉じ,検索結果へ