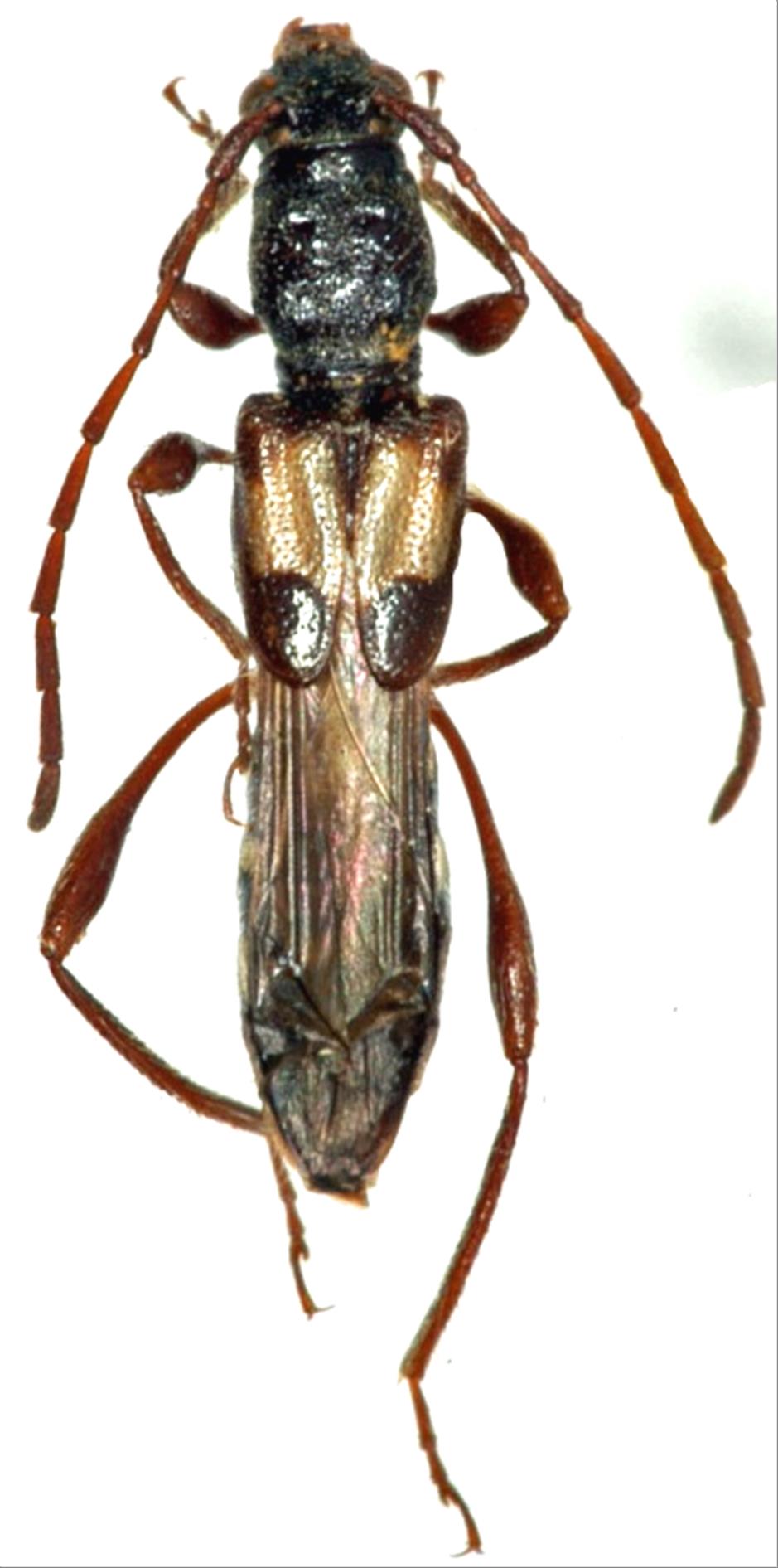
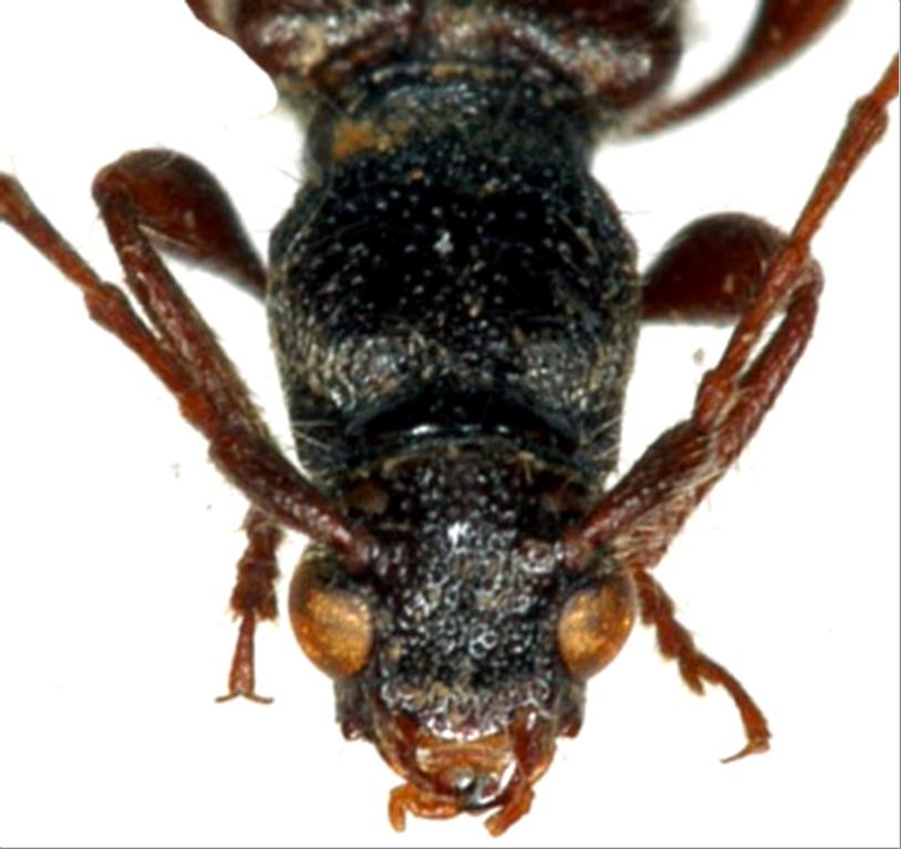
日本産カミキリムシ

コボトケヒゲナガコバネカミキリ
カミキリムシ科
カミキリ亜科


Glaphyra kobotokenis  K. Ohbayashi, 1963
Cerambycidae
Cerambycinae
標本データ
性:メス
体長(mm):8.5
採集日:1978/04/30
採集地(国):日本
採集地(都道府県):広島県
採集地(市町村):庄原市帝釈峡
採集地(詳細):
更新日:2017/08/08


ウィンドウを閉じ,検索結果へ