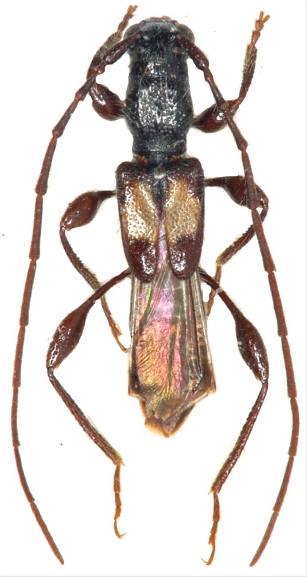
日本産カミキリムシ

カエデヒゲナガコバネカミキリ
カミキリムシ科
カミキリ亜科


Glaphyra ishiharai  (K. Ohbayashi, 1936)
Cerambycidae
Cerambycinae
標本データ
性:オス
体長(mm):6.5
採集日:1970/05/15
採集地(国):日本
採集地(都道府県):岡山県
採集地(市町村):高梁市臥牛山
採集地(詳細):
更新日:2017/08/08


ウィンドウを閉じ,検索結果へ