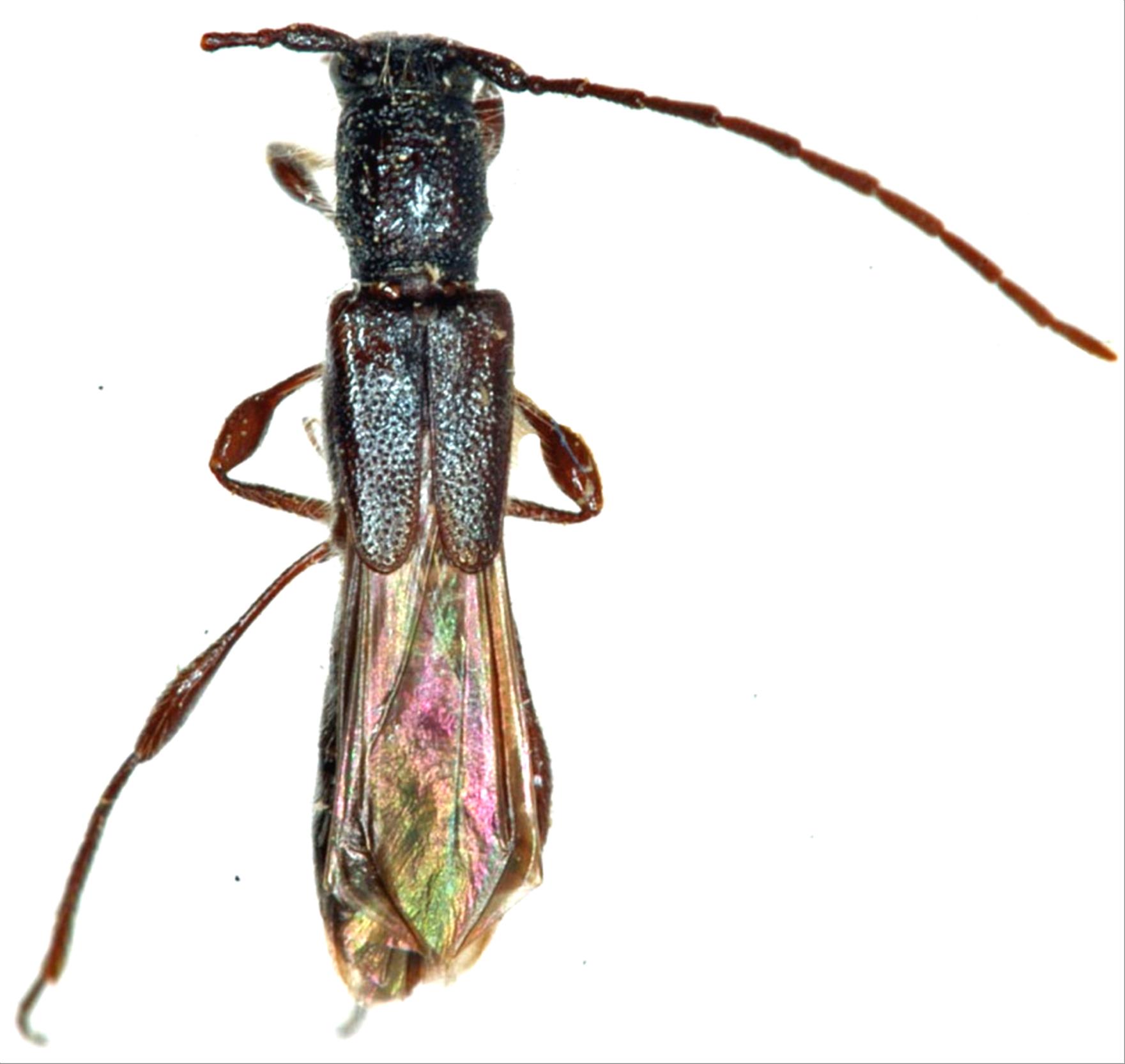
日本産カミキリムシ
ヒコサンヒゲナガコバネカミキリ
カミキリムシ科
カミキリ亜科
Glaphyra
 
nitida
 
adachii
 
(Takakuwa et Fujita, 1981)
Cerambycidae
Cerambycinae
標本データ
性:メス
体長(mm):6.5
採集日:1975/04/30
採集地(国):日本
採集地(都道府県):福岡県
採集地(市町村):添田町英彦山
採集地(詳細):
更新日:2017/08/08
ウィンドウを閉じ,検索結果へ