日本産カミキリムシ
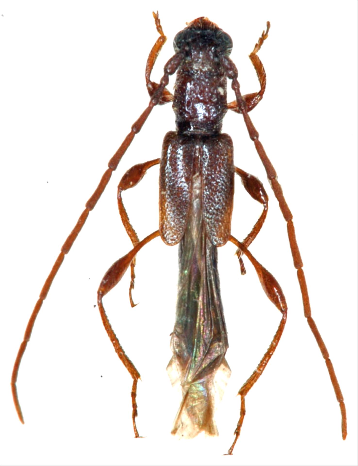
ヒコサンヒゲナガコバネカミキリ
カミキリムシ科
カミキリ亜科
Glaphyra
 
nitida
 
adachii
 
(Takakuwa et Fujita, 1981)
Cerambycidae
Cerambycinae
標本データ
性:オス
体長(mm):6
採集日:1972/05/03
採集地(国):日本
採集地(都道府県):福岡県
採集地(市町村):添田町英彦山
採集地(詳細):
更新日:2017/08/08
ウィンドウを閉じ,検索結果へ