日本産カミキリムシ
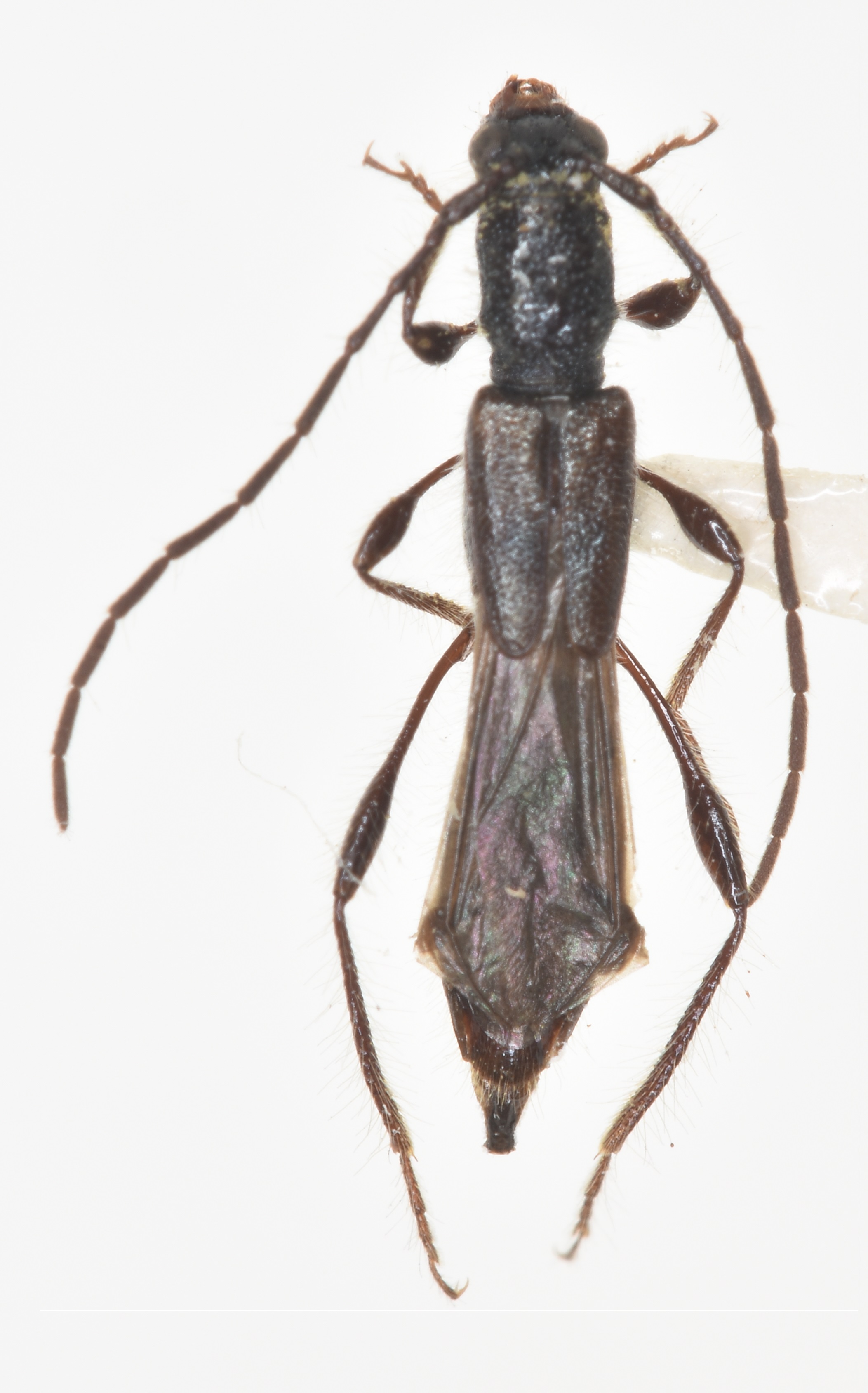
ホソツヤヒゲナガコバネカミキリ
カミキリムシ科
カミキリ亜科
Glaphyra
 
nitida
 
nitida
 
(Obika, 1973)
Cerambycidae
Cerambycinae
標本データ
性:メス
体長(mm):7
採集日:1978/05/06 〜 1978/05/08
採集地(国):日本
採集地(都道府県):長崎県
採集地(市町村):対馬市峰町大星山
採集地(詳細):
更新日:2017/08/08
ウィンドウを閉じ,検索結果へ