日本産カミキリムシ

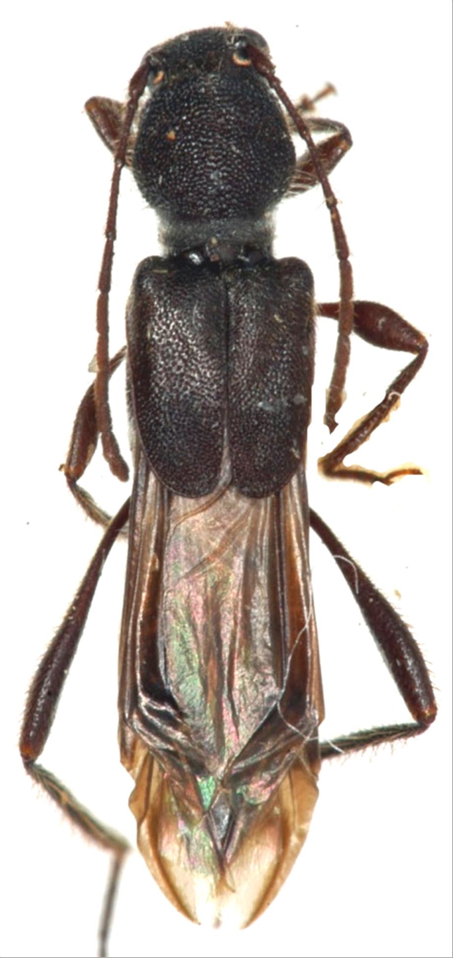
ツヤケシヒゲナガコバネカミキリ
カミキリムシ科
カミキリ亜科


Molorchoepania mizoguchii  (Hayashi, 1955)
Cerambycidae
Cerambycinae
標本データ
性:メス
体長(mm):10
採集日:1979/04/18
採集地(国):日本
採集地(都道府県):沖縄県
採集地(市町村):国頭村奥
採集地(詳細):
更新日:2017/08/08


ウィンドウを閉じ,検索結果へ