日本産カミキリムシ
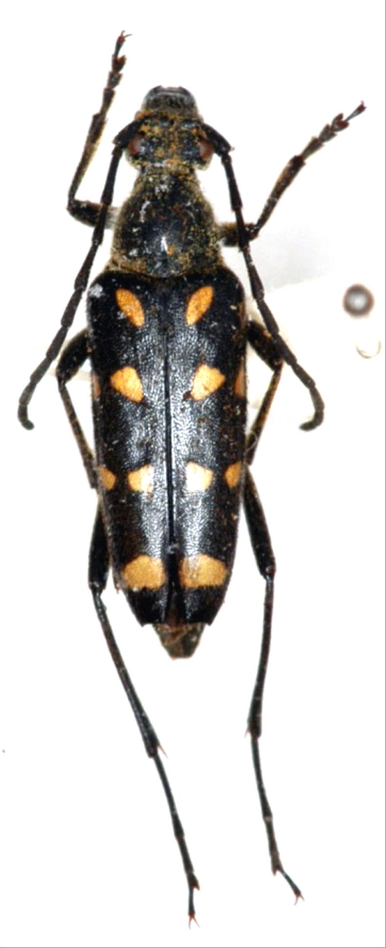
キモンハナカミキリ
カミキリムシ科
ハナカミキリ亜科
Leptura
 
duodecimguttata
 
duodecimguttata
 
Fabricius, 1801
Cerambycidae
Lepturinae
標本データ
性:メス
体長(mm):15
採集日:1982/08/02 〜 1982/08/05
採集地(国):日本
採集地(都道府県):岩手県
採集地(市町村):遠野市早池峰山
採集地(詳細):
更新日:2017/08/08
ウィンドウを閉じ,検索結果へ