日本産カミキリムシ
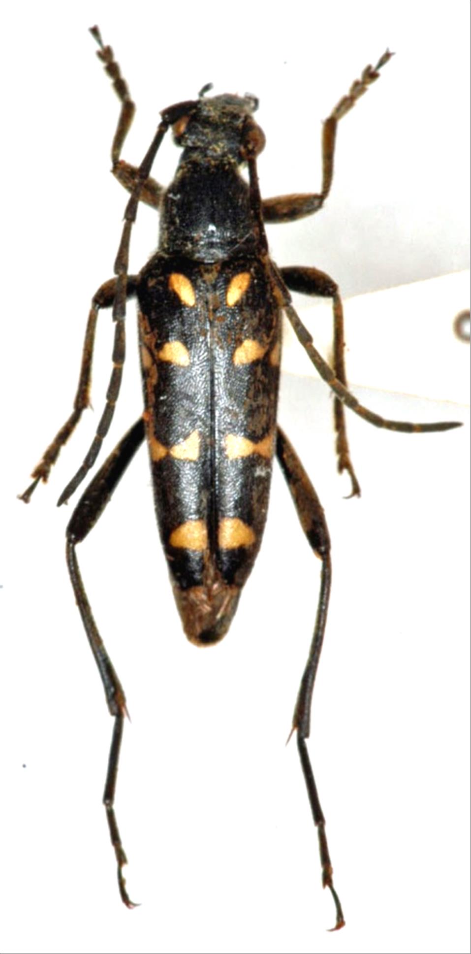
キモンハナカミキリ
カミキリムシ科
ハナカミキリ亜科
Leptura
 
duodecimguttata
 
duodecimguttata
 
Fabricius, 1801
Cerambycidae
Lepturinae
標本データ
性:オス
体長(mm):15
採集日:1983/07/22 〜 1983/07/24
採集地(国):日本
採集地(都道府県):北海道
採集地(市町村):上士幌町十勝三股
採集地(詳細):
更新日:2017/08/08
ウィンドウを閉じ,検索結果へ