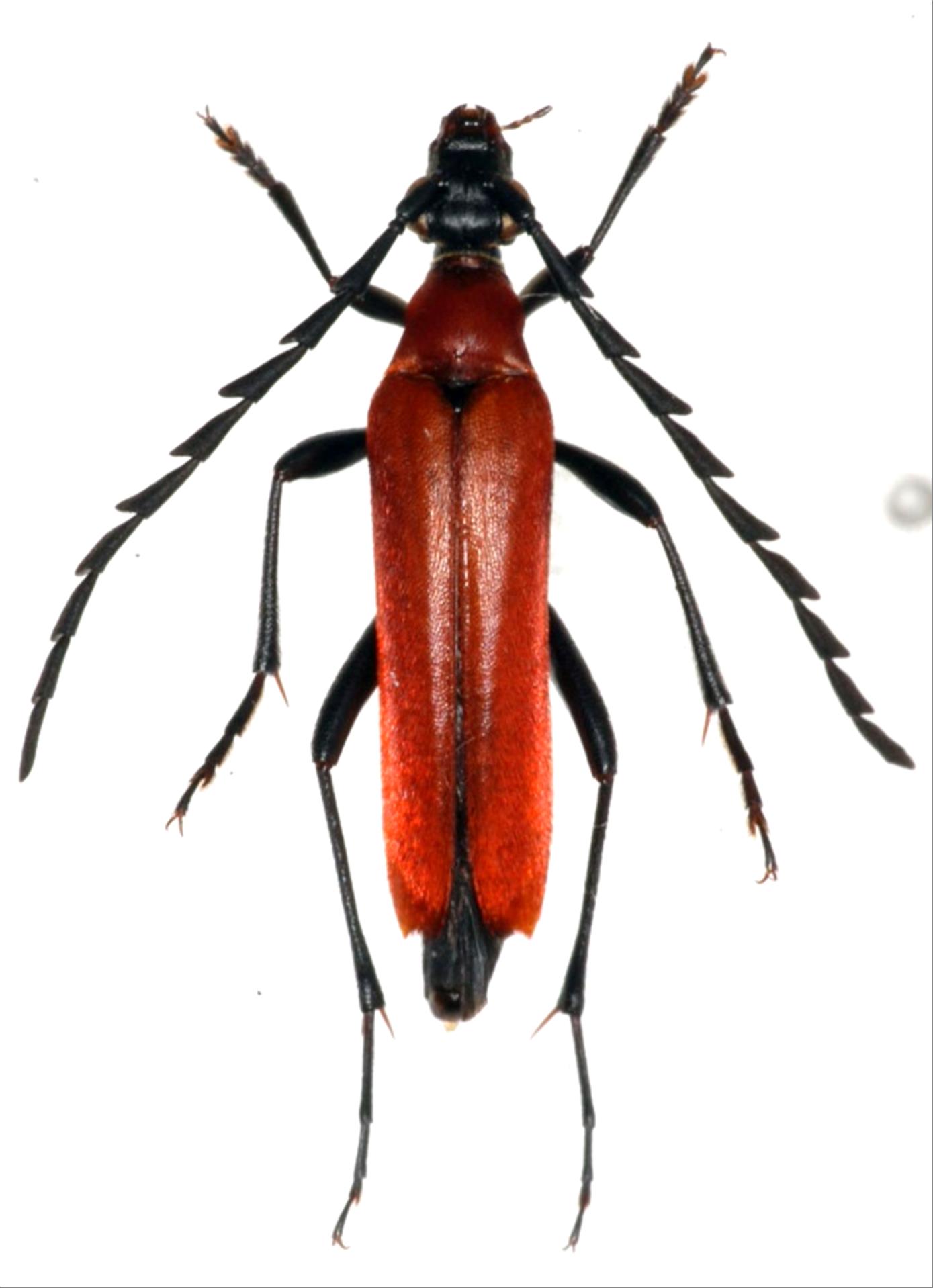
日本産カミキリムシ
リュウキュウモウセンハナカミキリ
カミキリムシ科
ハナカミキリ亜科
Ephies
 
japonicus
 
okinawanus
 
Hayashi, 1968
Cerambycidae
Lepturinae
標本データ
性:オス
体長(mm):12
採集日:2004/09/17
採集地(国):日本
採集地(都道府県):沖縄県
採集地(市町村):名護市名護岳
採集地(詳細):
更新日:2017/08/08
ウィンドウを閉じ,検索結果へ