日本産カミキリムシ
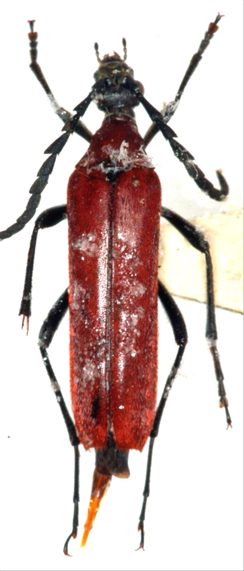
モウセンハナカミキリ
カミキリムシ科
ハナカミキリ亜科
Ephies
 
japonicus
 
japonicus
 
Nakane et K. Ohbayashi, 1961
Cerambycidae
Lepturinae
標本データ
性:メス
体長(mm):16
採集日:1975/08/02
採集地(国):日本
採集地(都道府県):鹿児島県
採集地(市町村):屋久島町大川林道
採集地(詳細):
更新日:2017/08/08
ウィンドウを閉じ,検索結果へ