日本産カミキリムシ

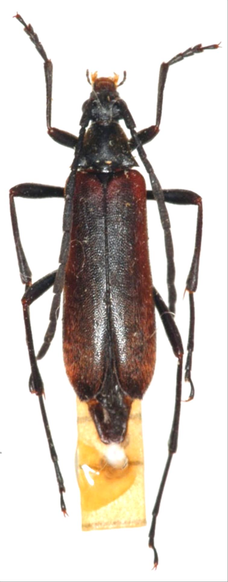
ベニバハナカミキリ
カミキリムシ科
ハナカミキリ亜科


Paranaspia anaspidoides  (Bates, 1873)
Cerambycidae
Lepturinae
標本データ
性:メス
体長(mm):14
採集日:1971/07/30
採集地(国):日本
採集地(都道府県):熊本県
採集地(市町村):水上村市房山
採集地(詳細):
更新日:2017/08/08


ウィンドウを閉じ,検索結果へ