日本産カミキリムシ

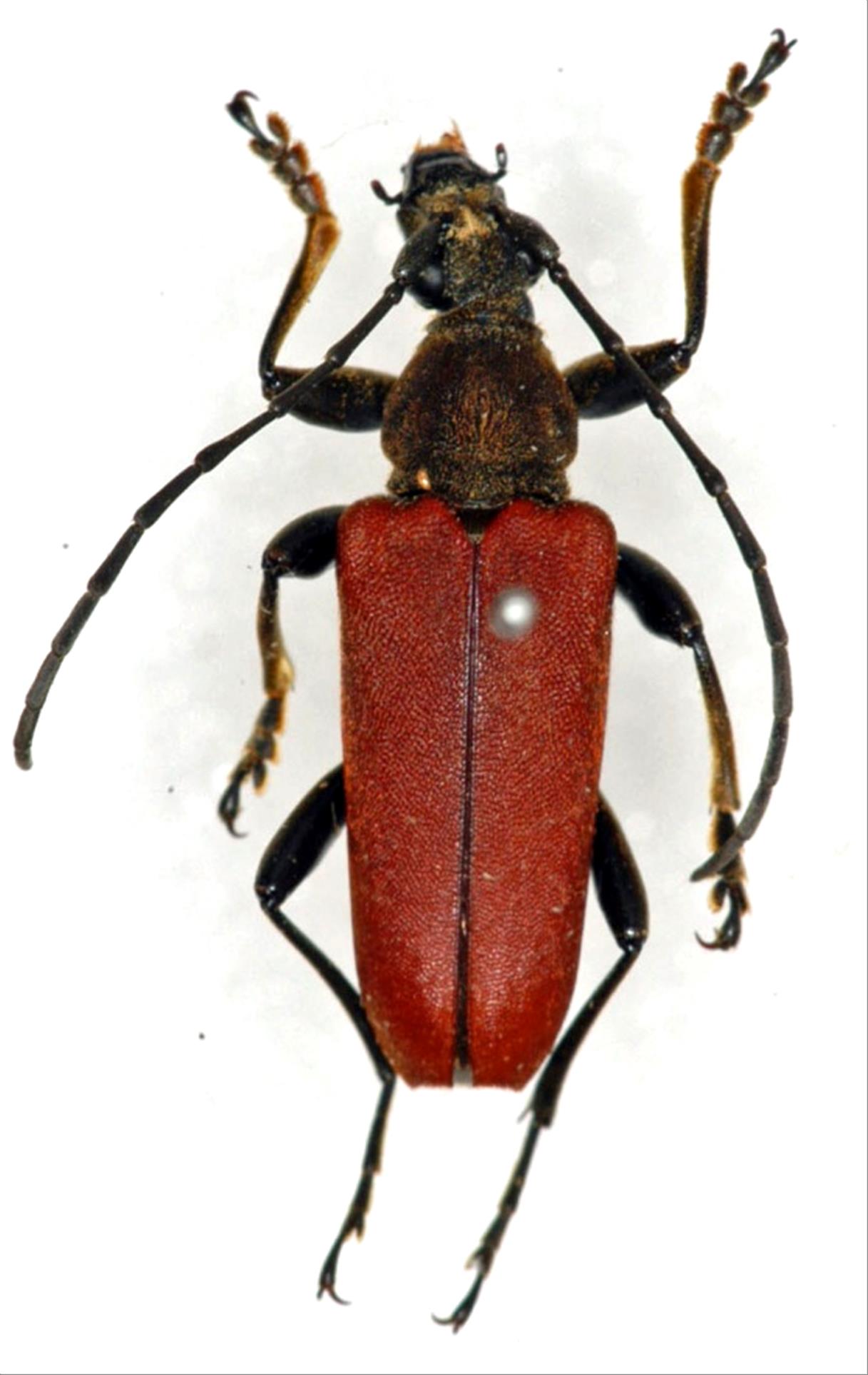
オオハナカミキリ
カミキリムシ科
ハナカミキリ亜科


Konoa granurata  (Bates, 1884)
Cerambycidae
Lepturinae
標本データ
性:メス
体長(mm):17
採集日:1983/07/29
採集地(国):日本
採集地(都道府県):栃木県
採集地(市町村):日光市川俣田代山黒部
採集地(詳細):
更新日:2017/08/08


ウィンドウを閉じ,検索結果へ