日本産カミキリムシ

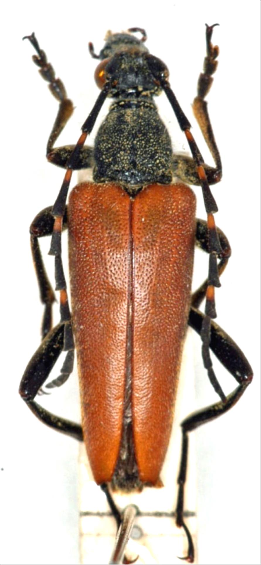
イガブチヒゲハナカミキリ
カミキリムシ科
ハナカミキリ亜科


Stictoleptura igai  (Tamanuki, 1942)
Cerambycidae
Lepturinae
標本データ
性:オス
体長(mm):21
採集日:1966/07/31
採集地(国):日本
採集地(都道府県):奈良県
採集地(市町村):上北山村大台ヶ原
採集地(詳細):
更新日:2017/08/08


ウィンドウを閉じ,検索結果へ