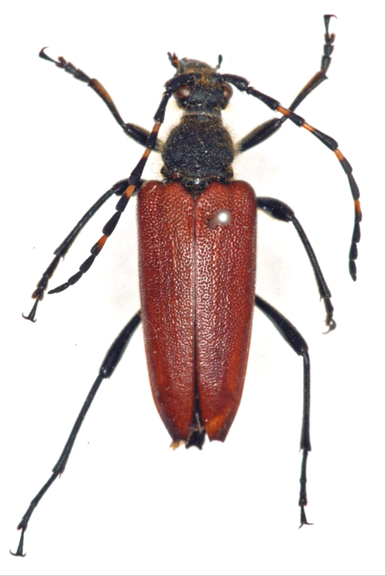
日本産カミキリムシ

ブチヒゲハナカミキリ
カミキリムシ科
ハナカミキリ亜科


Stictoleptura variicornis  (Dalman, 1817)
Cerambycidae
Lepturinae
標本データ
性:メス
体長(mm):21
採集日:1976/08/29
採集地(国):日本
採集地(都道府県):島根県
採集地(市町村):大田市三瓶町島根大学演習林
採集地(詳細):
更新日:2017/08/08


ウィンドウを閉じ,検索結果へ