日本産カミキリムシ

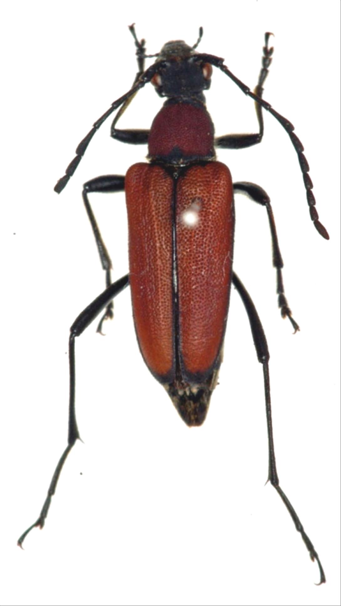
カサハラツヤケシハナカミキリ
カミキリムシ科
ハナカミキリ亜科


Anastrangalia kasaharai  Makihara, 2002
Cerambycidae
Lepturinae
標本データ
性:メス
体長(mm):13
採集日:2004/08/24
採集地(国):日本
採集地(都道府県):鹿児島県
採集地(市町村):瀬戸内町油井岳
採集地(詳細):奄美大島
更新日:2017/08/08


ウィンドウを閉じ,検索結果へ