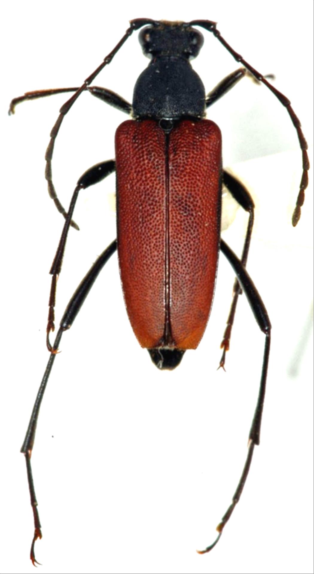
日本産カミキリムシ

ツヤケシハナカミキリ
カミキリムシ科
ハナカミキリ亜科


Anastrangalia scotodes  (Bates, 1873)
Cerambycidae
Lepturinae
標本データ
性:メス
体長(mm):13
採集日:1982/05/22
採集地(国):日本
採集地(都道府県):茨城県
採集地(市町村):つくば市茎崎
採集地(詳細):
更新日:2017/08/08


ウィンドウを閉じ,検索結果へ