Japanese Longicorn Beetles

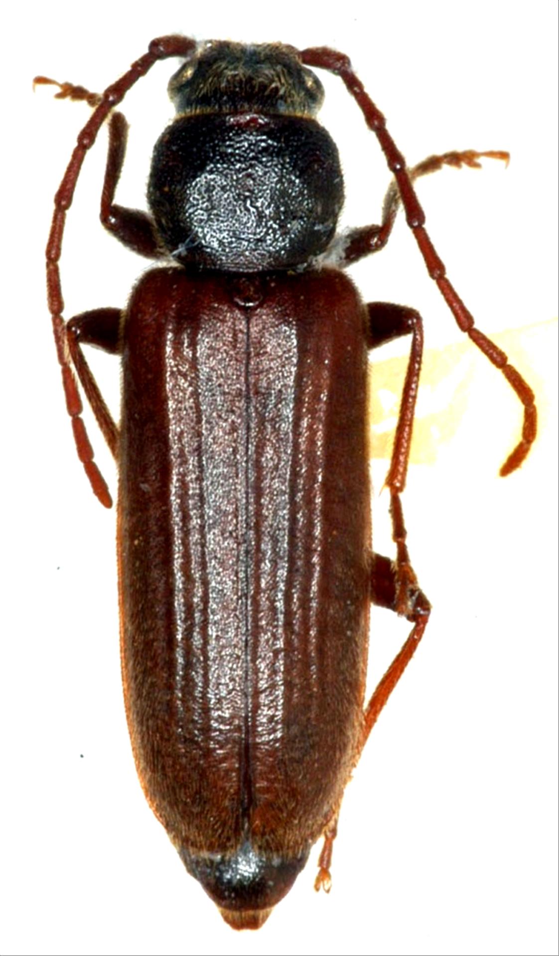
Asemum punctulatum  Blessing, 1872
Family:Cerambycidae
Subfamily:Spondylidinae
Data of specimen
Sex:male
Body length excl.antennae(mm):12
Date of collection:1983/07/22 〜 1983/07/24
Country:Japan
Prefecture:Hokkaido
City/town:Kamishihoro-cho
Detailed locality:
Longitude ( 143˚09'12.2"E )
Latitude ( 43˚30'29.9"N )
latest update:
2017/08/08



Back