Japanese Longicorn Beetles

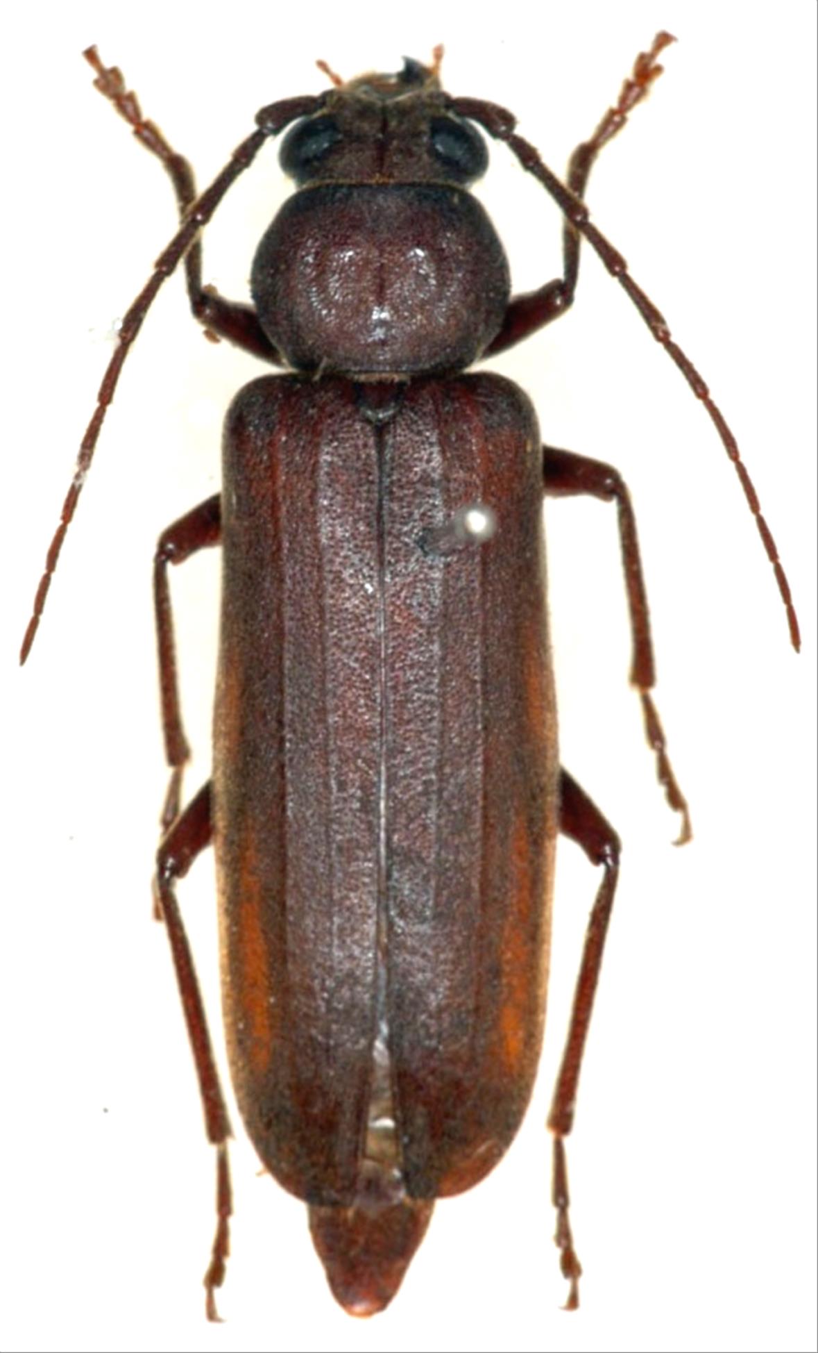
Arhopalus coreanus  (Sharp, 1905)
Family:Cerambycidae
Subfamily:Spondylidinae
Data of specimen
Sex:female
Body length excl.antennae(mm):24
Date of collection:1984/07/08
Country:Japan
Prefecture:Iwate
City/town:Shizukuishi-cho
Detailed locality:
Longitude ( 140˚54'49.1"E )
Latitude ( 39˚41'34.4"N )
latest update:
2017/08/08



Back