Japanese Longicorn Beetles

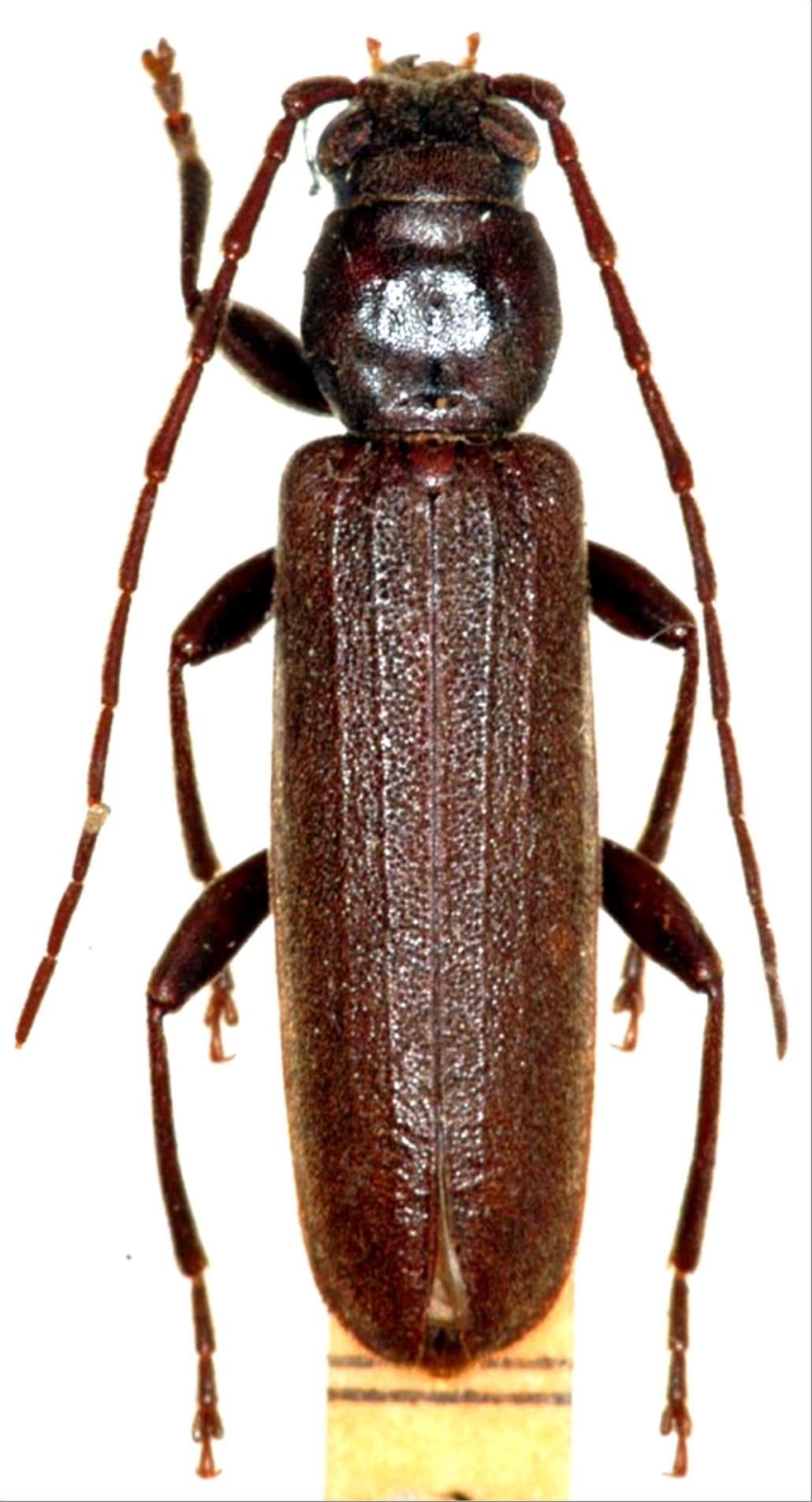
Arhopalus tobirensis  Hayashi, 1968
Family:Cerambycidae
Subfamily:Spondylidinae
Data of specimen
Sex:male
Body length excl.antennae(mm):17
Date of collection:1971/08/26
Country:Japan
Prefecture:Nagano
City/town:Matsumoto-shi
Detailed locality:
Longitude ( 138˚07'32.4"E )
Latitude ( 36˚11'11.8"N )
latest update:
2017/08/08



Back