Japanese Longicorn Beetles

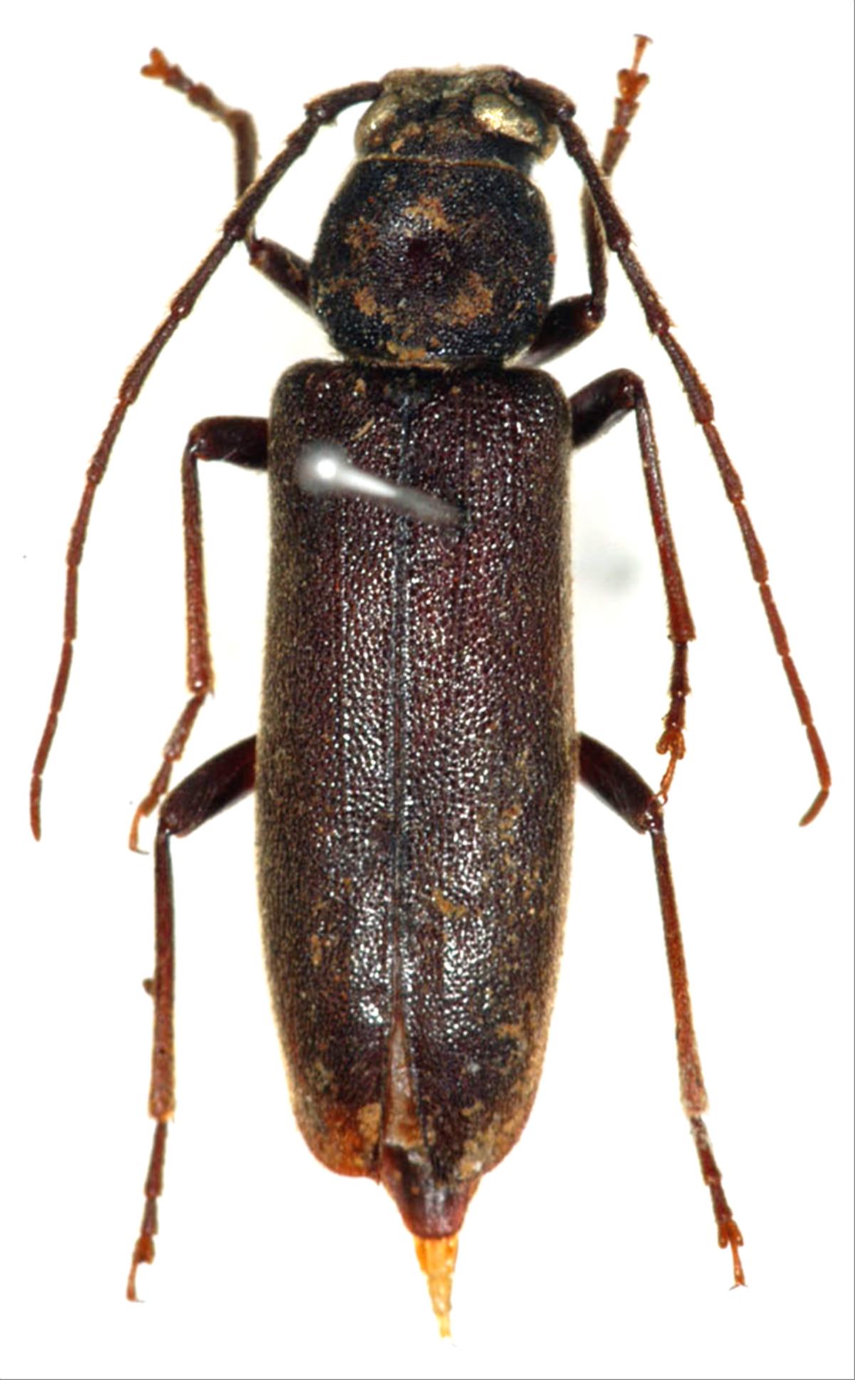
Cephalallus ryukyuensis  Makihara, 2003
Family:Cerambycidae
Subfamily:Spondylidinae
Data of specimen
Sex:female
Body length excl.antennae(mm):20
Date of collection:1977/07/09 〜 1977/07/11
Country:Japan
Prefecture:Okinawa
City/town:Kunigami-son
Detailed locality:
Longitude ( 128˚12'30.8"E )
Latitude ( 26˚45'51.4"N )
latest update:
2017/08/08



Back