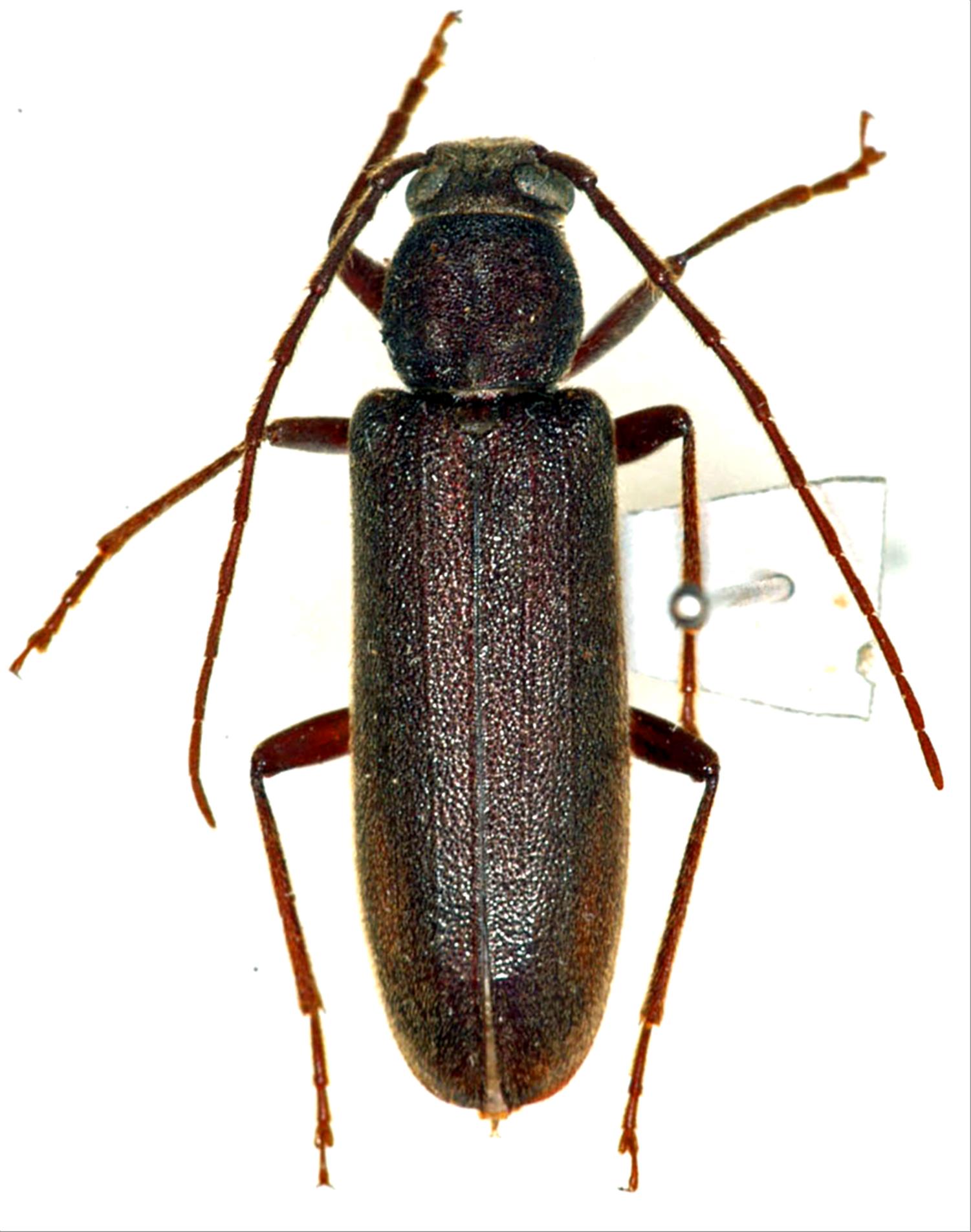
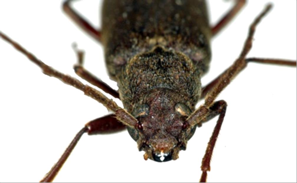
Japanese Longicorn Beetles

Cephalallus unicolor  (Gahan, 1906)
Family:Cerambycidae
Subfamily:Spondylidinae
Data of specimen
Sex:female
Body length excl.antennae(mm):21
Date of collection:1975/07/25
Country:Japan
Prefecture:Kagoshima
City/town:Mishima-mura
Detailed locality:Kuroshima Is.
Longitude ( 129˚56'59.9"E )
Latitude ( 30˚50'01.4"N )
latest update:
2017/08/08



Back