Japanese Longicorn Beetles

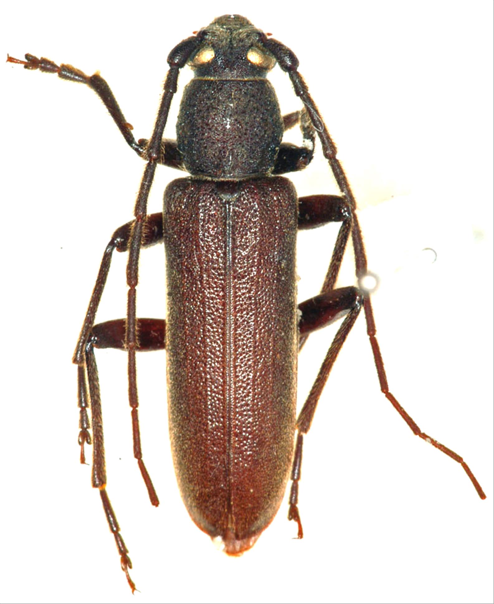
Cephalallus unicolor  (Gahan, 1906)
Family:Cerambycidae
Subfamily:Spondylidinae
Data of specimen
Sex:male
Body length excl.antennae(mm):20
Date of collection:1978/07/08
Country:Japan
Prefecture:Tokyo
City/town:Niijima-mura
Detailed locality:Niijima Is.
Longitude ( 139˚15'44.9"E )
Latitude ( 34˚22'25.6"N )
latest update:
2017/08/08



Back