Japanese Longicorn Beetles

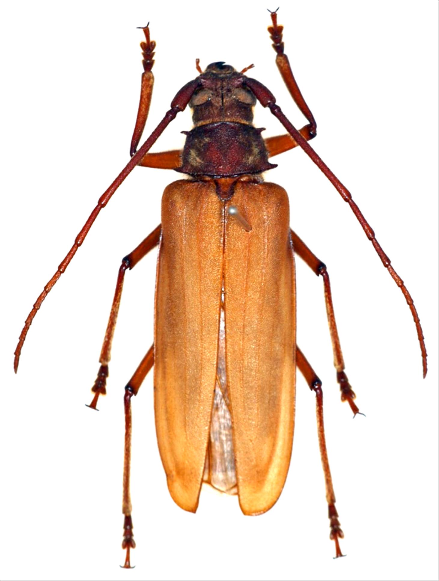
Spinimegopis nipponica nipponica  (Matushita, 1934)
Family:Cerambycidae
Subfamily:Prioninae
Data of specimen
Sex:female
Body length excl.antennae(mm):40
Date of collection:2002/08/02
Country:Japan
Prefecture:Kagoshima
City/town:Ohguma-machi
Detailed locality:Mt.Inao-dake
Longitude ( 130˚53'09.3"E )
Latitude ( 31˚07'24.3"N )
latest update:
2017/08/08



Back