Japanese Longicorn Beetles

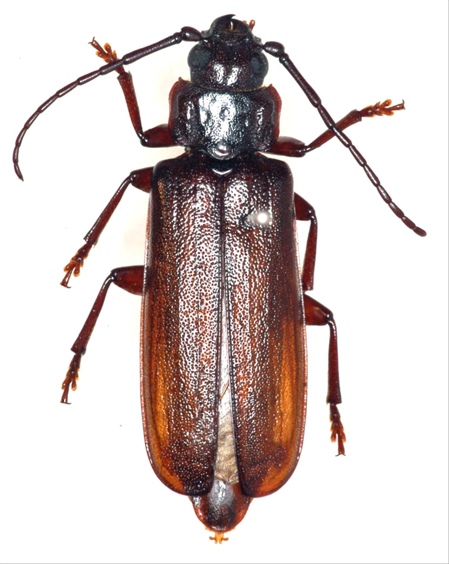
Eurypoda unicolor  Hayashi, 1956
Family:Cerambycidae
Subfamily:Prioninae
Data of specimen
Sex:female
Body length excl.antennae(mm):23
Date of collection:1995/07/03 〜 1995/07/08
Country:Japan
Prefecture:Tokyo
City/town:Ogasawara-mura
Detailed locality:Haha-jima Is.
Longitude ( 142˚09'07.3"E )
Latitude ( 26˚39'38.8"N )
latest update:
2017/08/08



Back