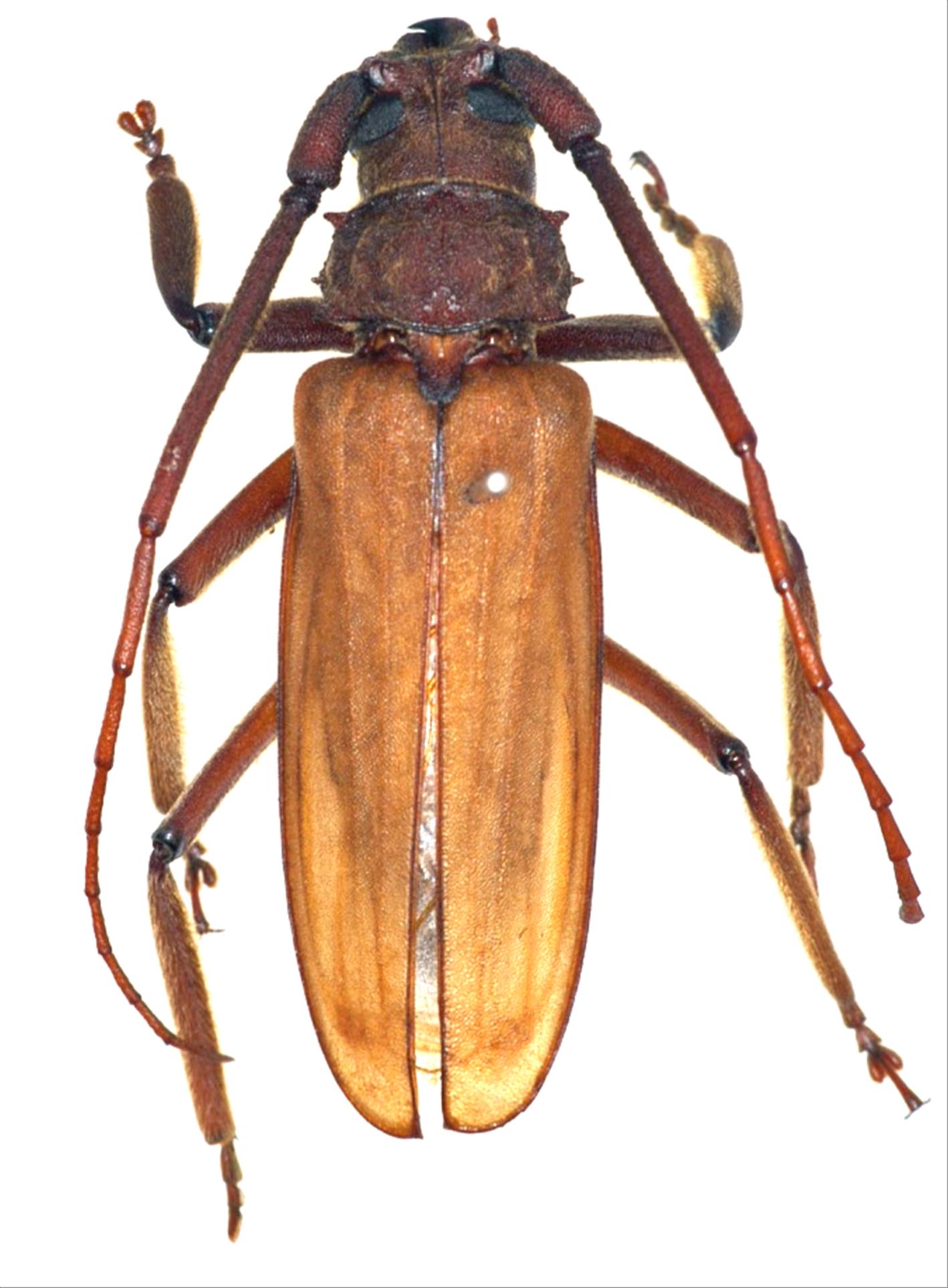
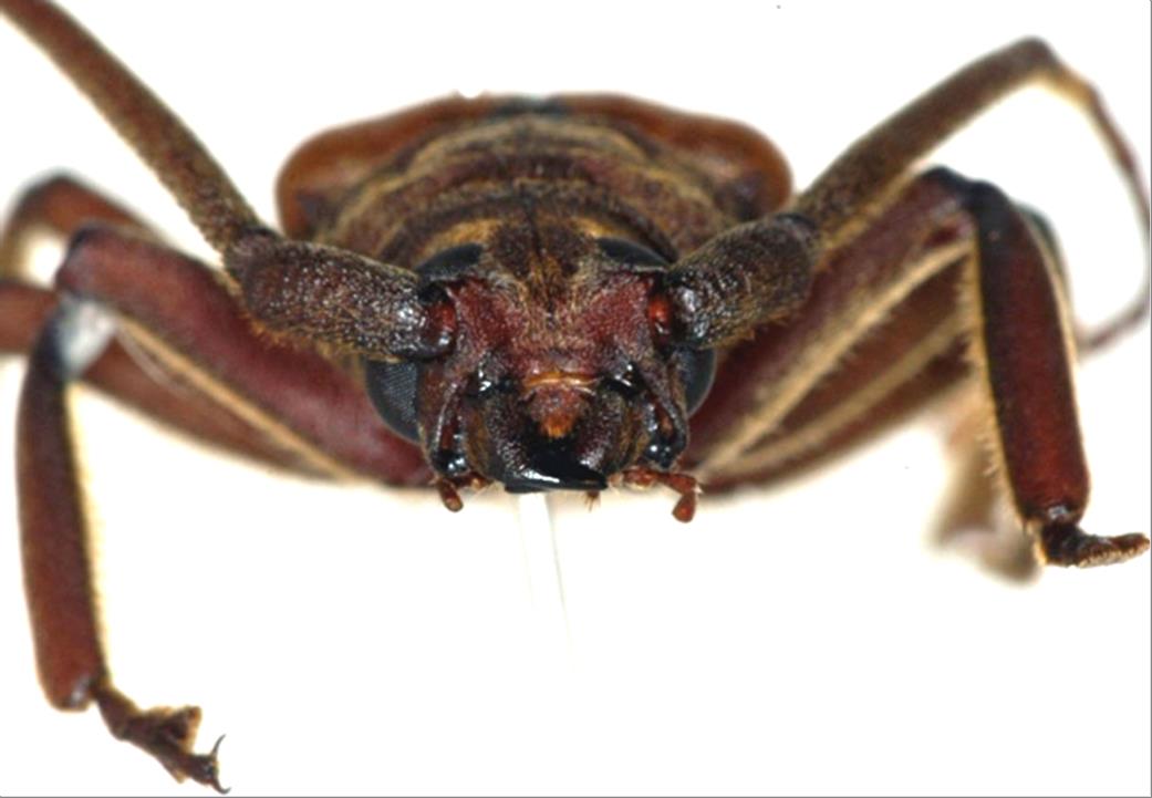
Japanese Longicorn Beetles

Spinimegopis kawazoei okinawana  (Fujita, 1980)
Family:Cerambycidae
Subfamily:Prioninae
Data of specimen
Sex:male
Body length excl.antennae(mm):40
Date of collection:2010/07/08
Country:Japan
Prefecture:Okinawa
City/town:Onna-son
Detailed locality:
Longitude ( 127˚54'26.2"E )
Latitude ( 26˚30'15.1"N )
latest update:
2017/08/08



Back