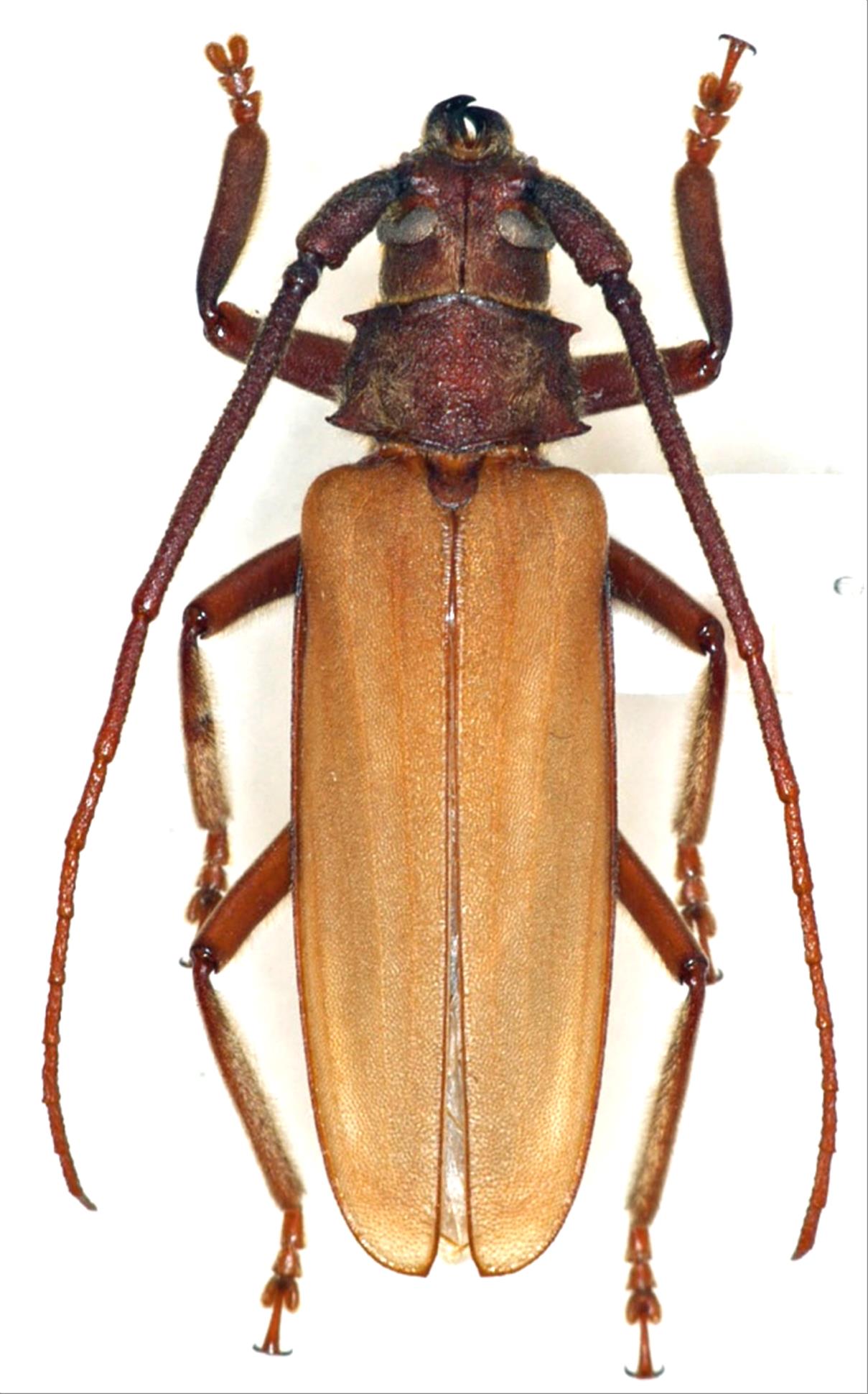
Japanese Longicorn Beetles

Spinimegopis nipponica yakushimana  (Fujita, 1980)
Family:Cerambycidae
Subfamily:Prioninae
Data of specimen
Sex:male
Body length excl.antennae(mm):33
Date of collection:1975/08/01
Country:Japan
Prefecture:Kagoshima
City/town:Yakushima-cho
Detailed locality:Yakushima Is.
Longitude ( 130˚24'54.7"E )
Latitude ( 30˚18'00.8"N )
latest update:
2017/08/08



Back