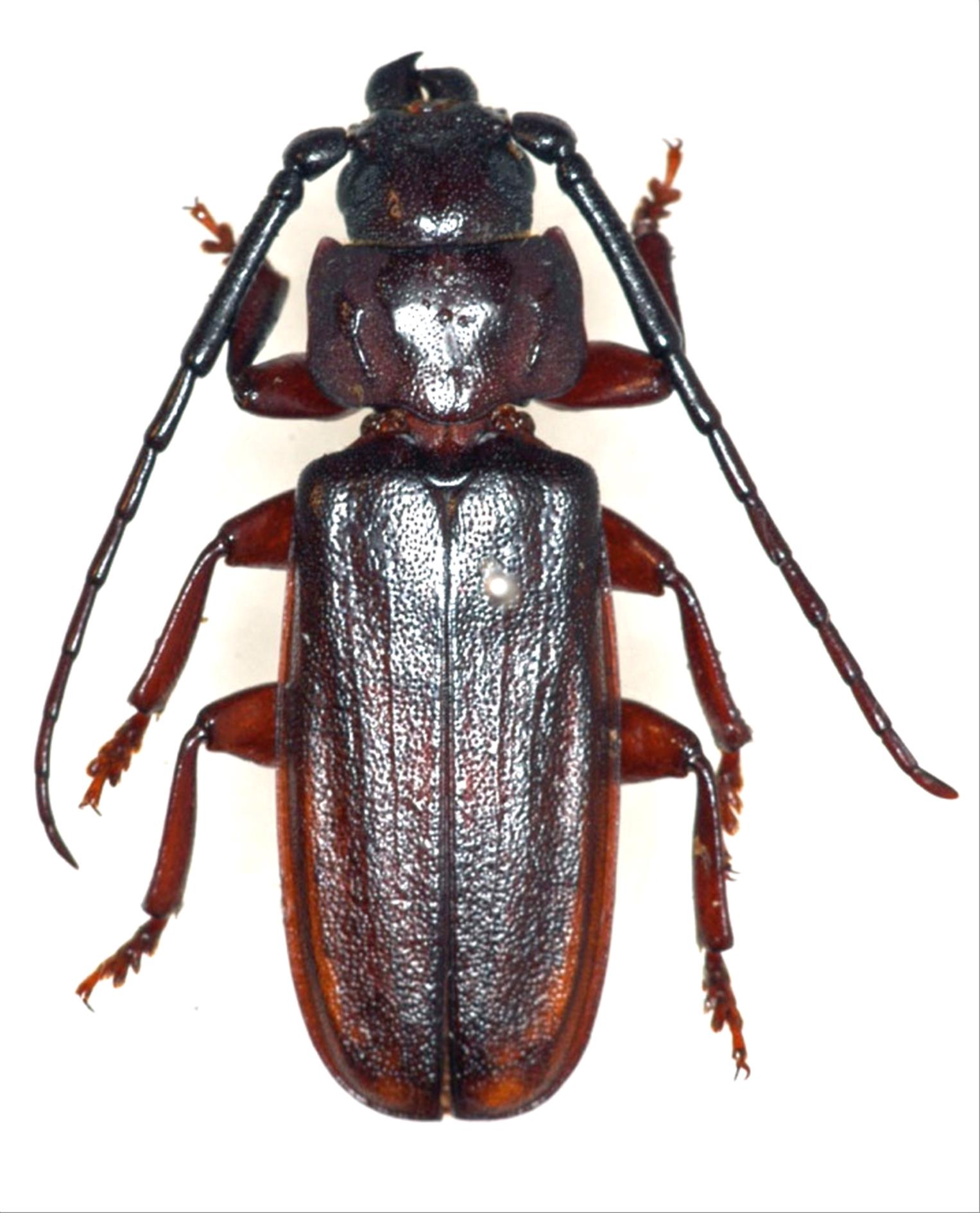
Japanese Longicorn Beetles

Eurypoda unicolor  Hayashi, 1956
Family:Cerambycidae
Subfamily:Prioninae
Data of specimen
Sex:male
Body length excl.antennae(mm):26
Date of collection:1985/07/24 〜 1985/07/27
Country:Japan
Prefecture:Nagasaki
City/town:Izuhara-machi
Detailed locality:Tsushima Is.
Longitude ( 129˚13'18.6"E )
Latitude ( 34˚08'28.9"N )
latest update:
2017/08/08



Back