Japanese Longicorn Beetles

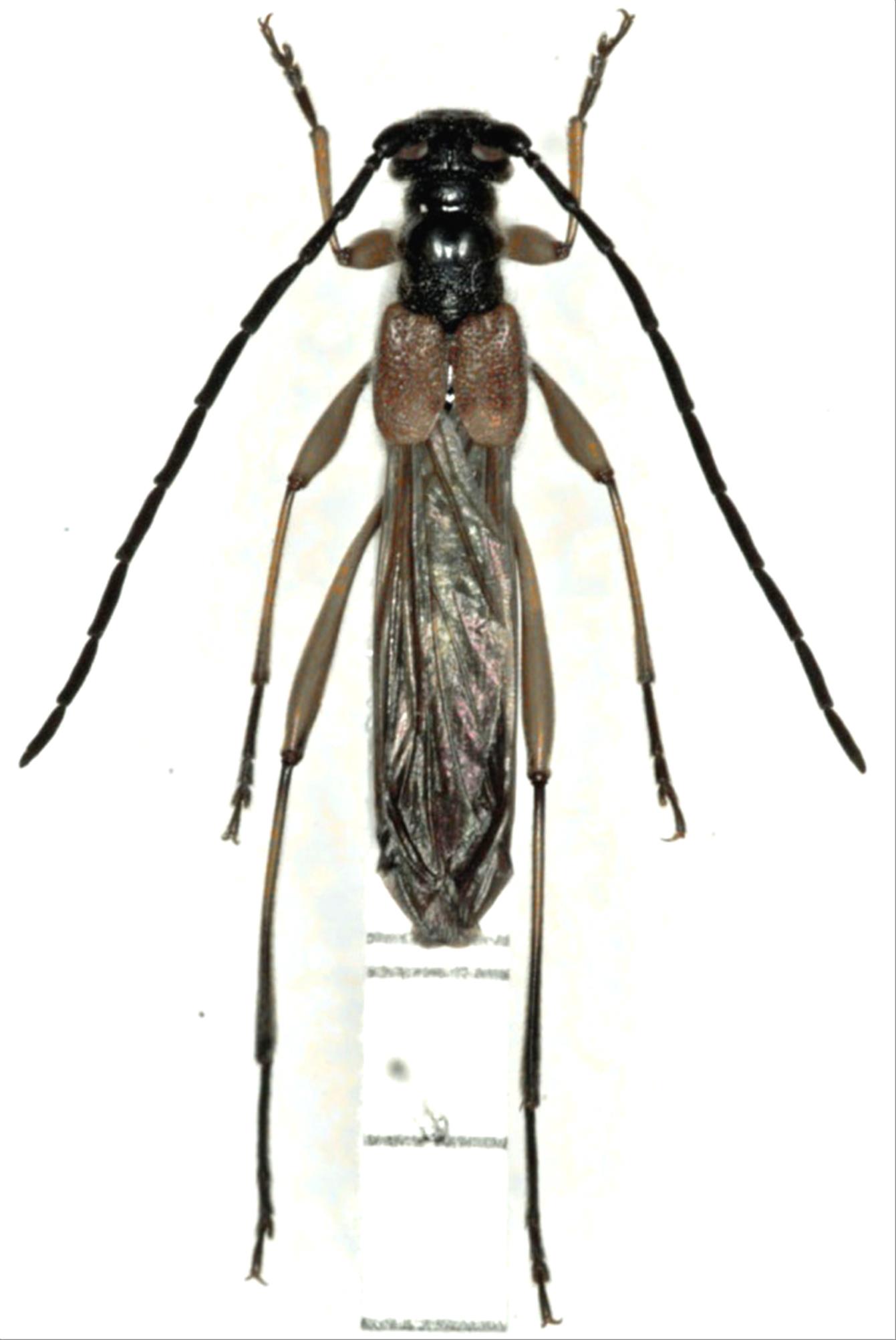
Necydalis pennata  Lewis, 1879
Family:Cerambycidae
Subfamily:Necydalinae
Data of specimen
Sex:male
Body length excl.antennae(mm):15
Date of collection:2000/07/10
Country:Japan
Prefecture:Hokkaido
City/town:Sapporo-shi
Detailed locality:Mt.Maruyama
Longitude ( 141˚18'44.1"E )
Latitude ( 43˚03'05.8"N )
latest update:
2017/08/08



Back