Japanese Longicorn Beetles

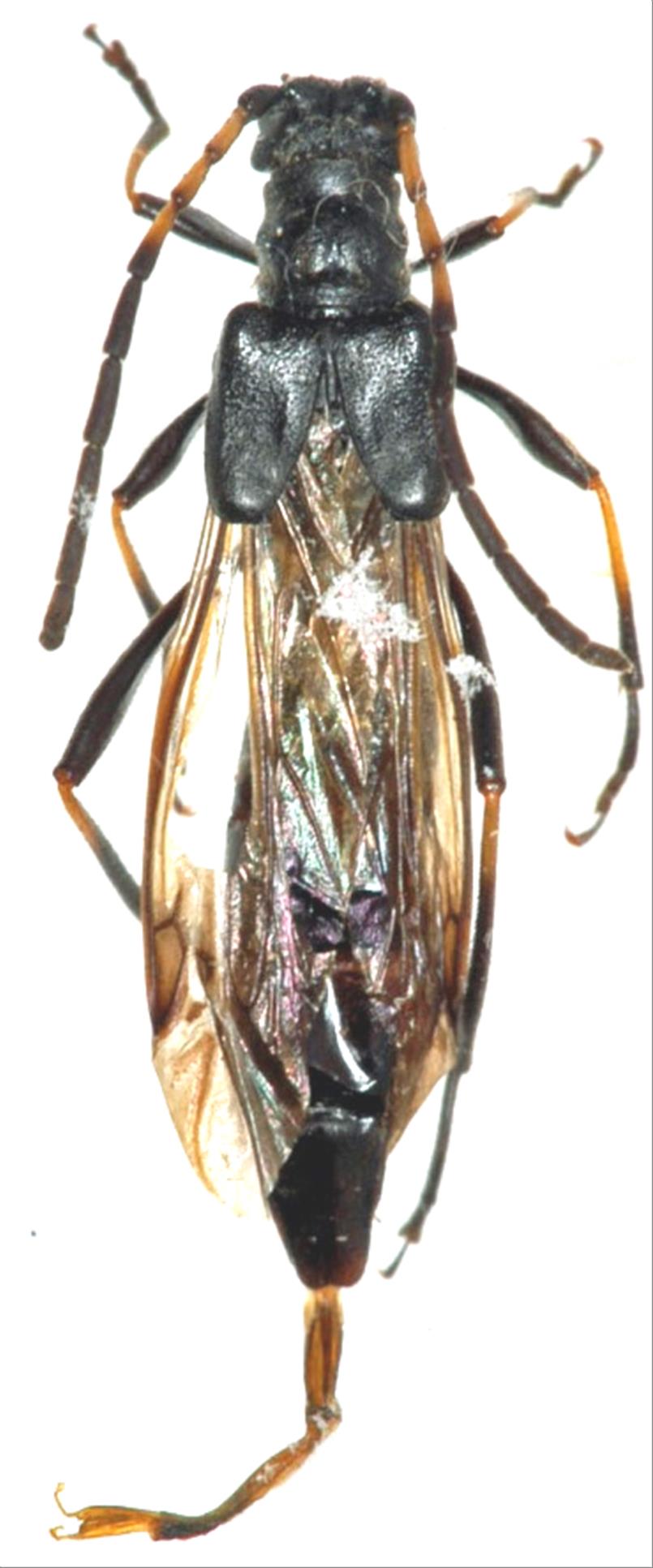
Necydalis harmandi  Pic, 1902
Family:Cerambycidae
Subfamily:Necydalinae
Data of specimen
Sex:female
Body length excl.antennae(mm):15
Date of collection:1988/08/12
Country:Japan
Prefecture:Iwate
City/town:Ninohe-shi
Detailed locality:
Longitude ( 141˚12'43.7"E )
Latitude ( 40˚14'18.8"N )
latest update:
2017/08/08



Back