日本産カミキリムシ

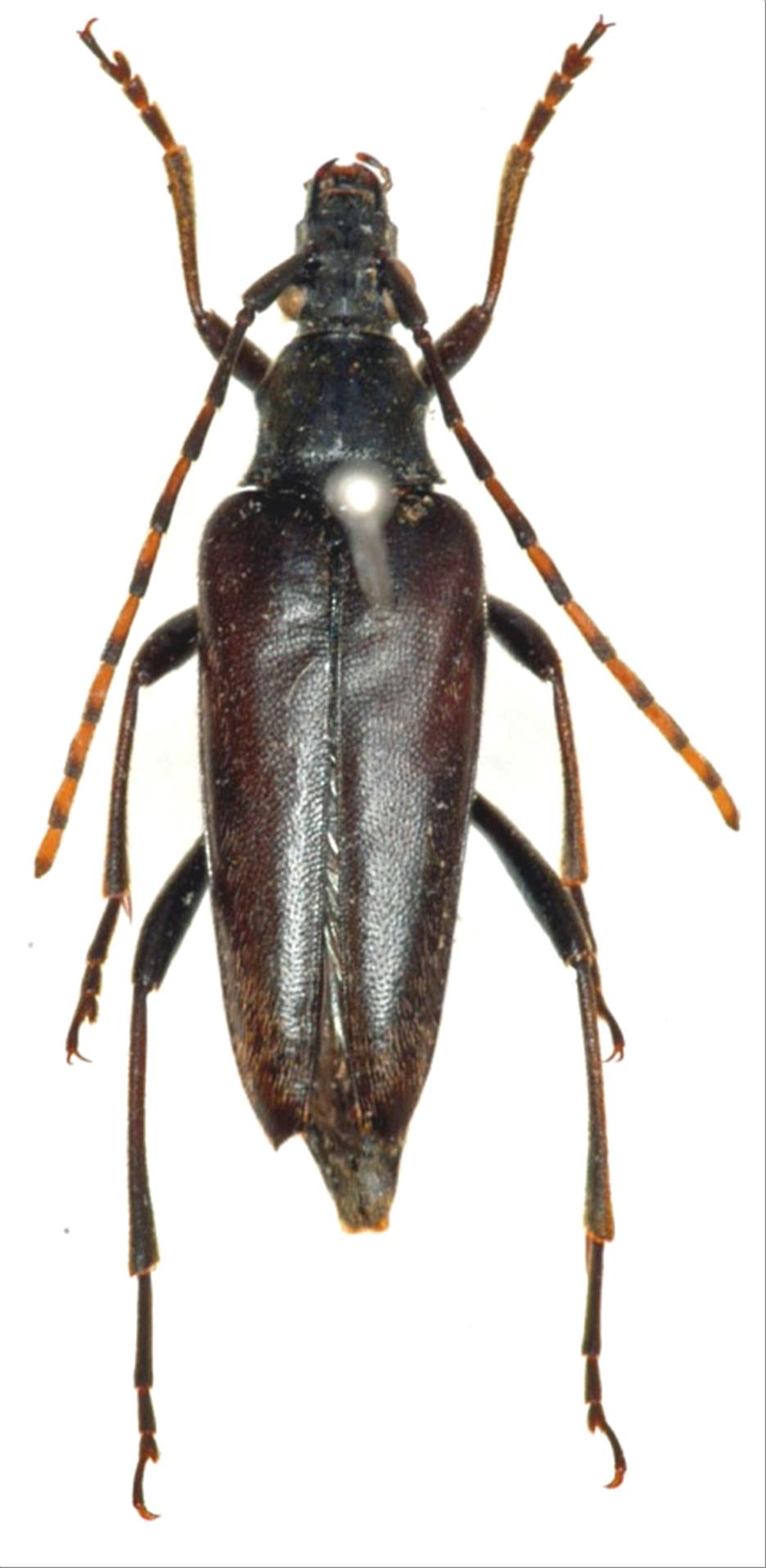
エトロフハナカミキリ
カミキリムシ科
ハナカミキリ亜科


Etorofua nemurensis  Matsushita, 1933
Cerambycidae
Lepturinae
標本データ
性:メス
体長(mm):18
採集日:1981/08/01
採集地(国):日本
採集地(都道府県):北海道
採集地(市町村):羅臼町知床ルシャ
採集地(詳細):
更新日:2017/08/08



戻る