日本産カミキリムシ

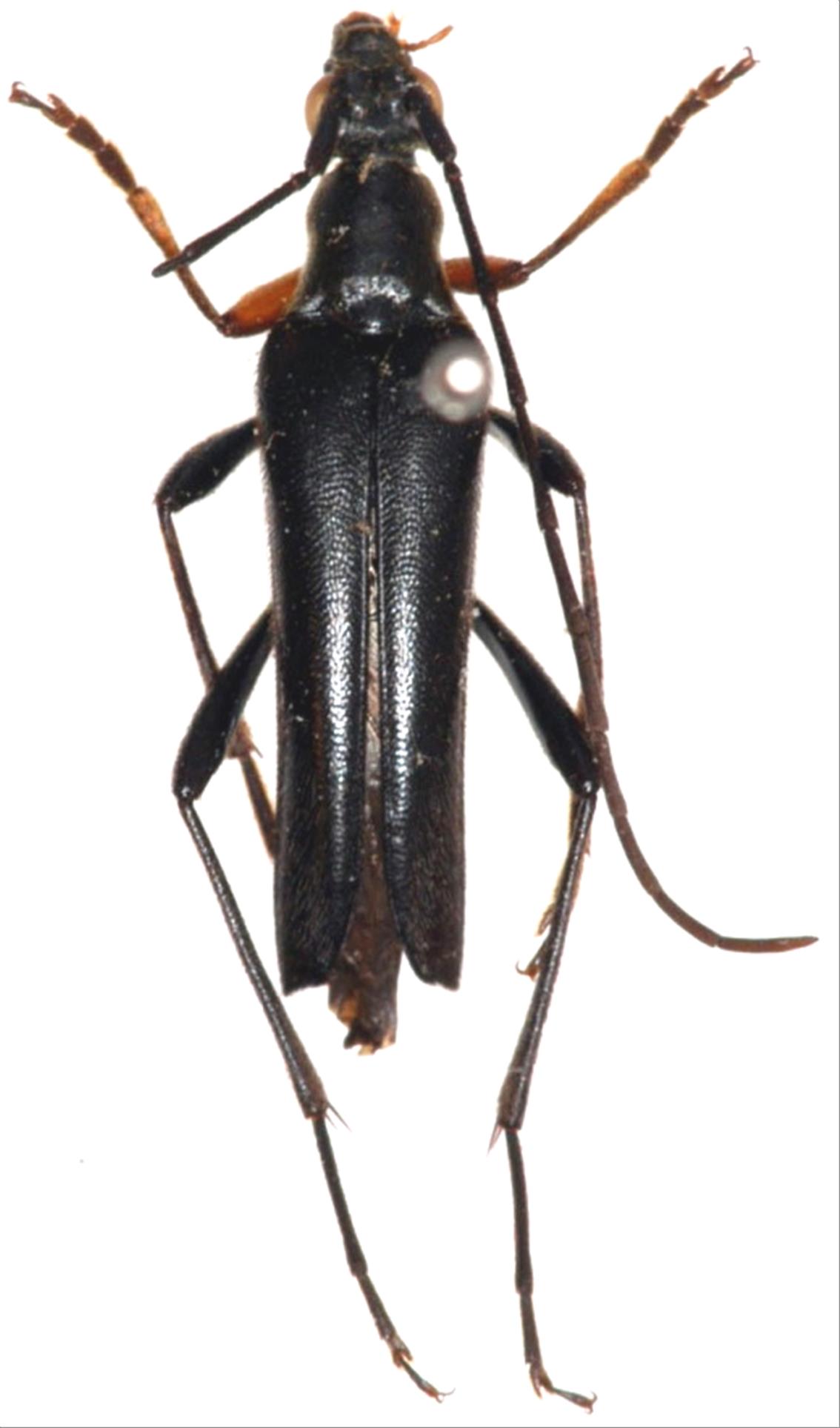
カタキハナカミキリ
カミキリムシ科
ハナカミキリ亜科


Pedostrangalia femoralis  (Motschulsky, 1860)
Cerambycidae
Lepturinae
標本データ
性:オス
体長(mm):15
採集日:1981/07/25 〜 1981/07/26
採集地(国):日本
採集地(都道府県):福島県
採集地(市町村):檜枝岐村
採集地(詳細):
更新日:2017/08/08



戻る