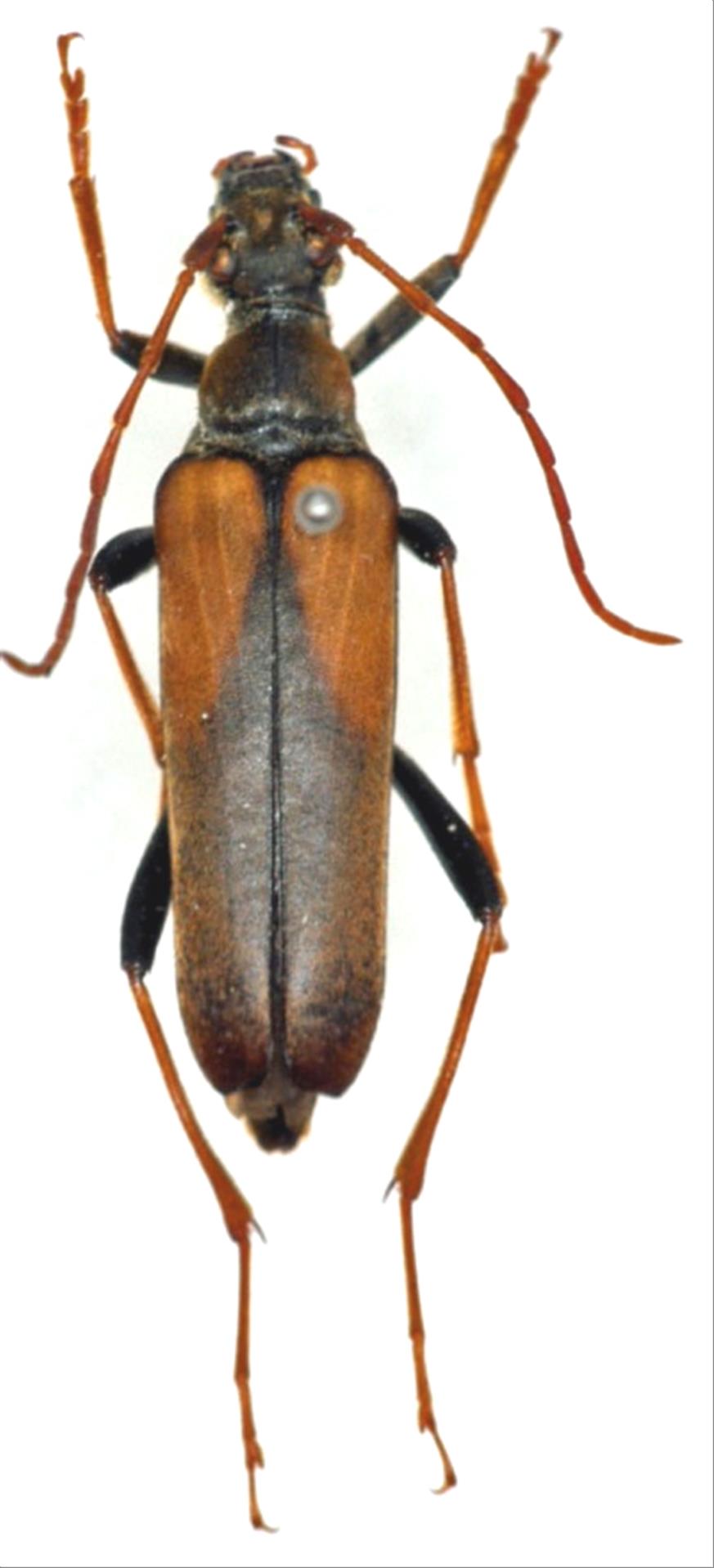
日本産カミキリムシ

ハネビロハナカミキリ
カミキリムシ科
ハナカミキリ亜科


Leptura latipennis  (Matsushita, 1933)
Cerambycidae
Lepturinae
標本データ
性:メス
体長(mm):20
採集日:1982/06/19 〜 1982/06/20
採集地(国):日本
採集地(都道府県):福島県
採集地(市町村):檜枝岐村
採集地(詳細):
更新日:2017/08/08



戻る