日本産カミキリムシ

ヤクシマヨツスジハナカミキリ
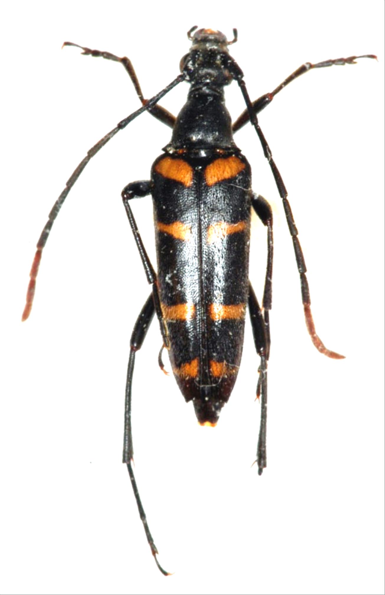
カミキリムシ科
ハナカミキリ亜科


Leptura yakushimana  (Tamanuki, 1942)
Cerambycidae
Lepturinae
標本データ
性:メス
体長(mm):15
採集日:1974/07/17
採集地(国):日本
採集地(都道府県):鹿児島県
採集地(市町村):屋久島町小杉谷
採集地(詳細):
更新日:2017/08/08



戻る