日本産カミキリムシ

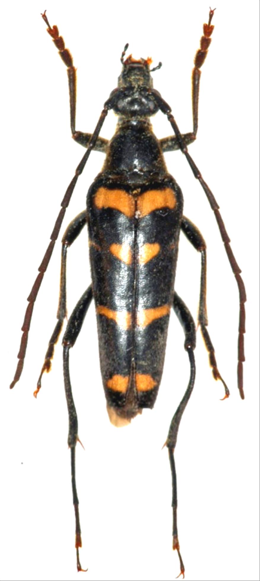
ヤマトヨツスジハナカミキリ
カミキリムシ科
ハナカミキリ亜科


Leptura subtilis  Bates 1884
Cerambycidae
Lepturinae
標本データ
性:オス
体長(mm):16.5
採集日:1995/08/13
採集地(国):日本
採集地(都道府県):群馬県
採集地(市町村):みなかみ町藤原武尊山
採集地(詳細):
更新日:2017/08/08



戻る