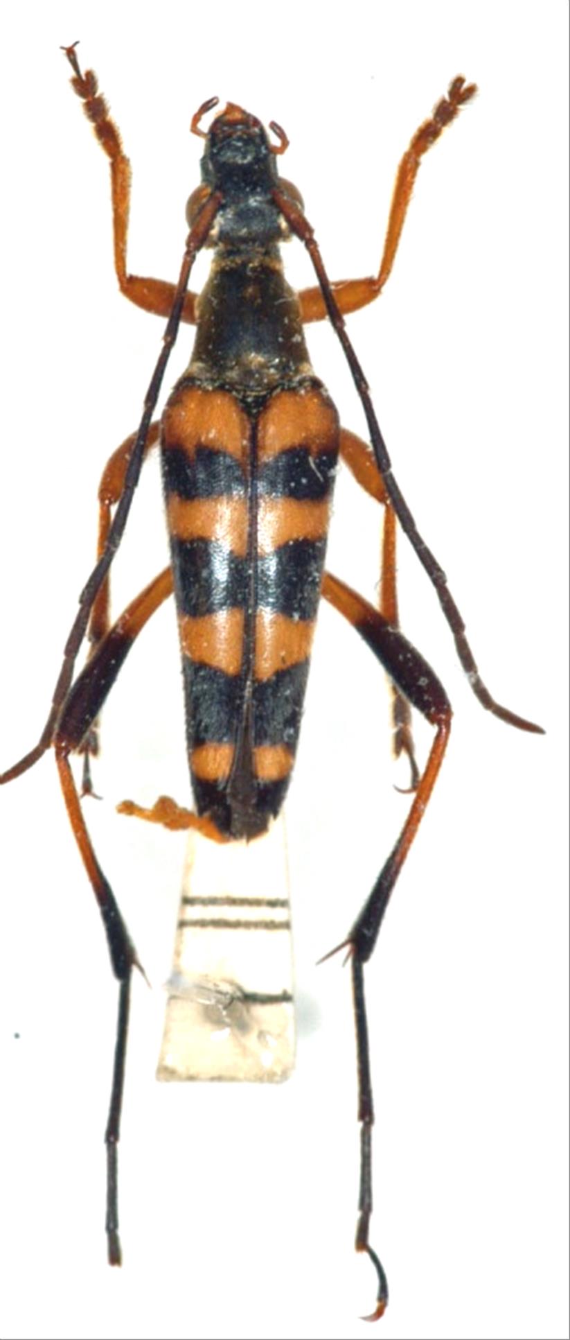
日本産カミキリムシ

ヒメヨツスジハナカミキリ
カミキリムシ科
ハナカミキリ亜科


Leptura kusamai kusamai  K. Ohbayashi et Nakane, 1955
Cerambycidae
Lepturinae
標本データ
性:オス
体長(mm):14
採集日:1974/07/30
採集地(国):日本
採集地(都道府県):東京都
採集地(市町村):青梅市御嵩山
採集地(詳細):東京
更新日:2017/08/08



戻る