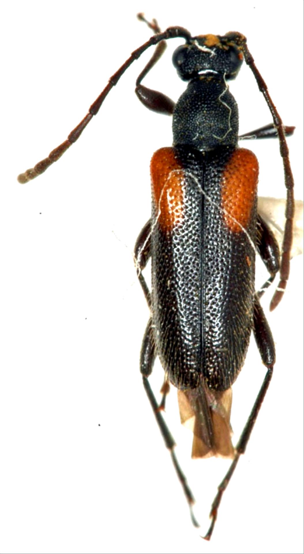
日本産カミキリムシ

オキナワチャボハナカミキリ
カミキリムシ科
ハナカミキリ亜科


Pseudalosterna aritai  K. Ohbayashi et N. Ohbayashi, 1965
Cerambycidae
Lepturinae
標本データ
性:メス
体長(mm):6.4
採集日:1979/04/07
採集地(国):日本
採集地(都道府県):沖縄県
採集地(市町村):国頭村辺野喜
採集地(詳細):
更新日:2017/08/08



戻る