日本産カミキリムシ

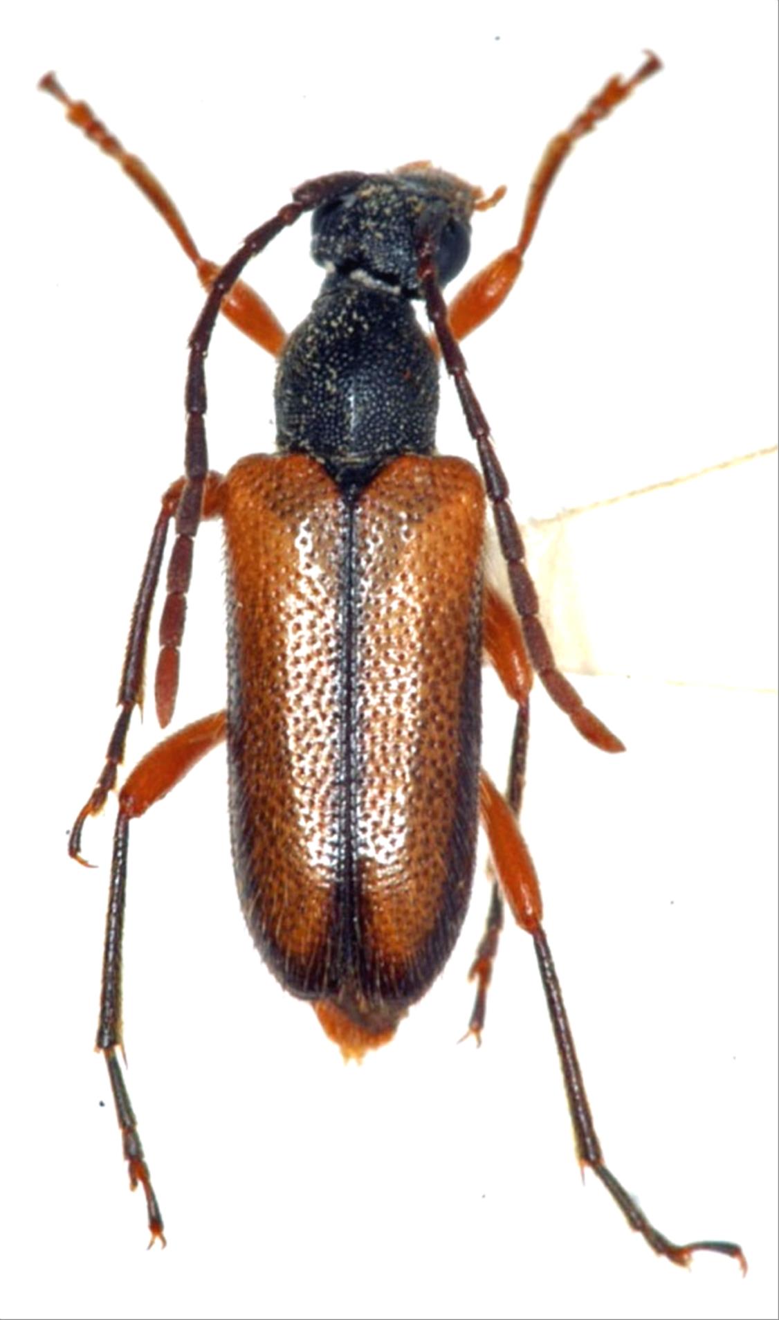
チャボハナカミキリ
カミキリムシ科
ハナカミキリ亜科


Pseudalosterna misella  (Bates, 1884)
Cerambycidae
Lepturinae
標本データ
性:メス
体長(mm):7.5
採集日:1986/08/02
採集地(国):日本
採集地(都道府県):福島県
採集地(市町村):南会津町糸沢高畠山
採集地(詳細):
更新日:2017/08/08



戻る