日本産カミキリムシ

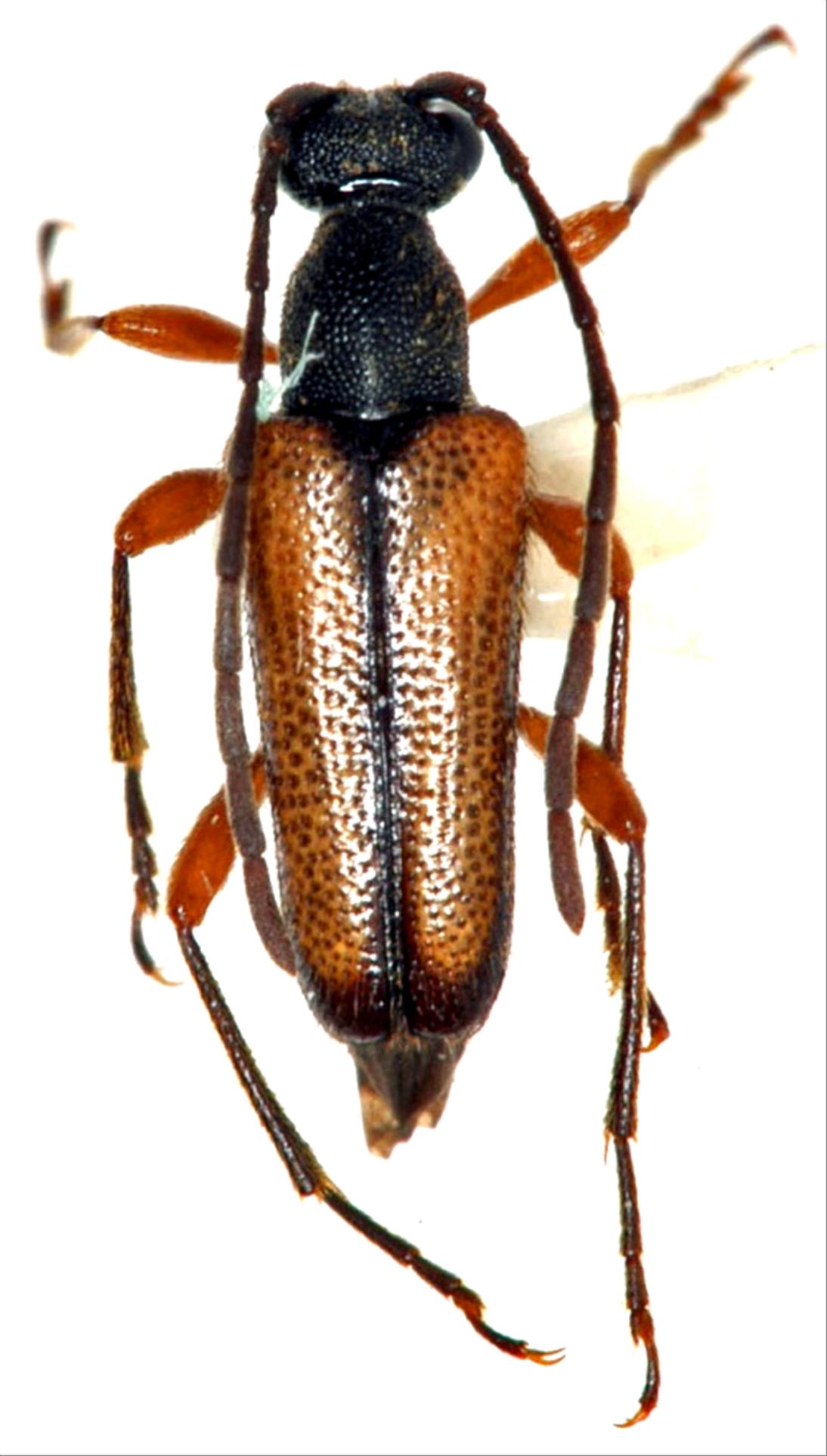
チャボハナカミキリ
カミキリムシ科
ハナカミキリ亜科


Pseudalosterna misella  (Bates, 1884)
Cerambycidae
Lepturinae
標本データ
性:オス
体長(mm):6
採集日:1983/07/28
採集地(国):日本
採集地(都道府県):栃木県
採集地(市町村):日光市山王林道
採集地(詳細):
更新日:2017/08/08



戻る