日本産カミキリムシ

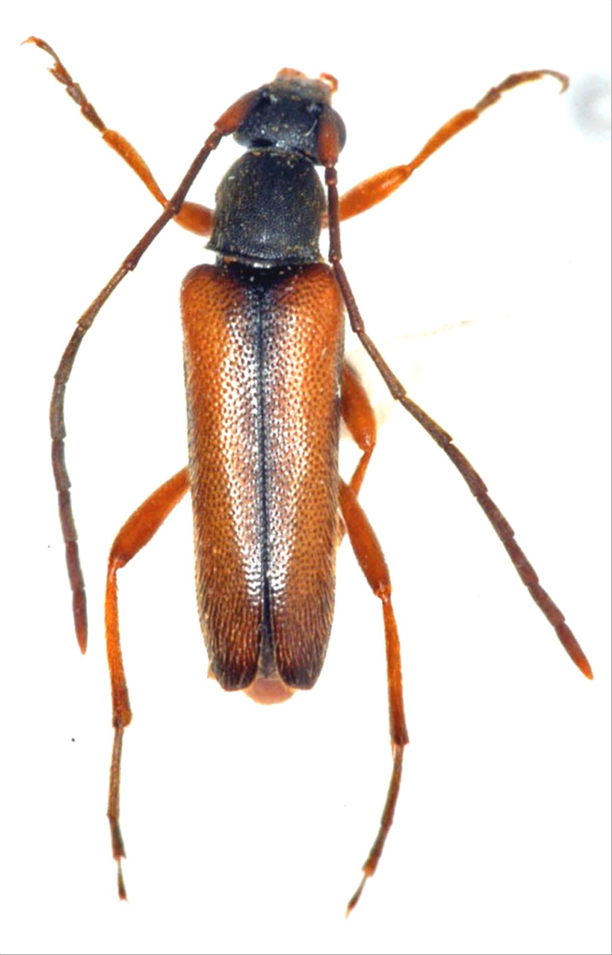
ホクチチビハナカミキリ
カミキリムシ科
ハナカミキリ亜科


Alosterna tabacicolor erythropus  Geber, 1841
Cerambycidae
Lepturinae
標本データ
性:オス
体長(mm):7
採集日:1983/07/22 〜 1983/07/24
採集地(国):日本
採集地(都道府県):北海道
採集地(市町村):上士幌町十勝三股
採集地(詳細):
更新日:2017/08/08



戻る