日本産カミキリムシ

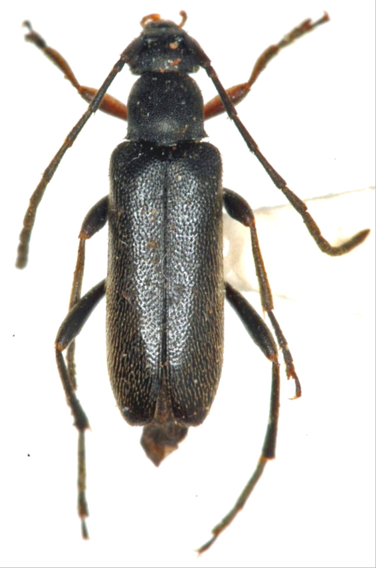
チビハナカミキリ
カミキリムシ科
ハナカミキリ亜科


Alosterna chalybeella  (Bates, 1884)
Cerambycidae
Lepturinae
標本データ
性:メス
体長(mm):7
採集日:1989/07/04 〜 1989/07/07
採集地(国):日本
採集地(都道府県):北海道
採集地(市町村):奥尻町
採集地(詳細):奥尻島
更新日:2017/08/08



戻る