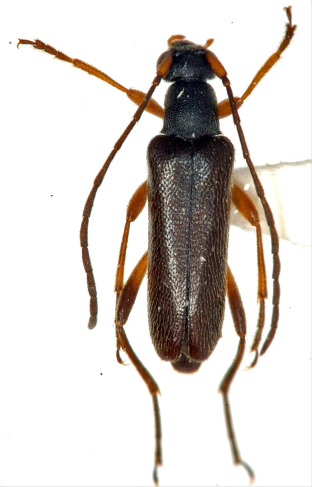
日本産カミキリムシ

チビハナカミキリ
カミキリムシ科
ハナカミキリ亜科


Alosterna chalybeella  (Bates, 1884)
Cerambycidae
Lepturinae
標本データ
性:オス
体長(mm):5
採集日:1984/07/11 〜 1984/07/12
採集地(国):日本
採集地(都道府県):栃木県
採集地(市町村):日光市川俣鬼怒沼
採集地(詳細):
更新日:2017/08/08



戻る