日本産カミキリムシ

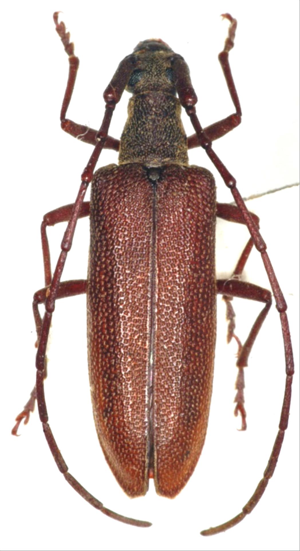
ケブトハナカミキリ
カミキリムシ科
ハナカミキリ亜科


Caraphia lepturoides lepturoides  (Matsushita, 1933)
Cerambycidae
Lepturinae
標本データ
性:メス
体長(mm):15
採集日:1967/05/30
採集地(国):日本
採集地(都道府県):愛媛県
採集地(市町村):伊方町佐田岬
採集地(詳細):
更新日:2017/08/08



戻る