日本産カミキリムシ

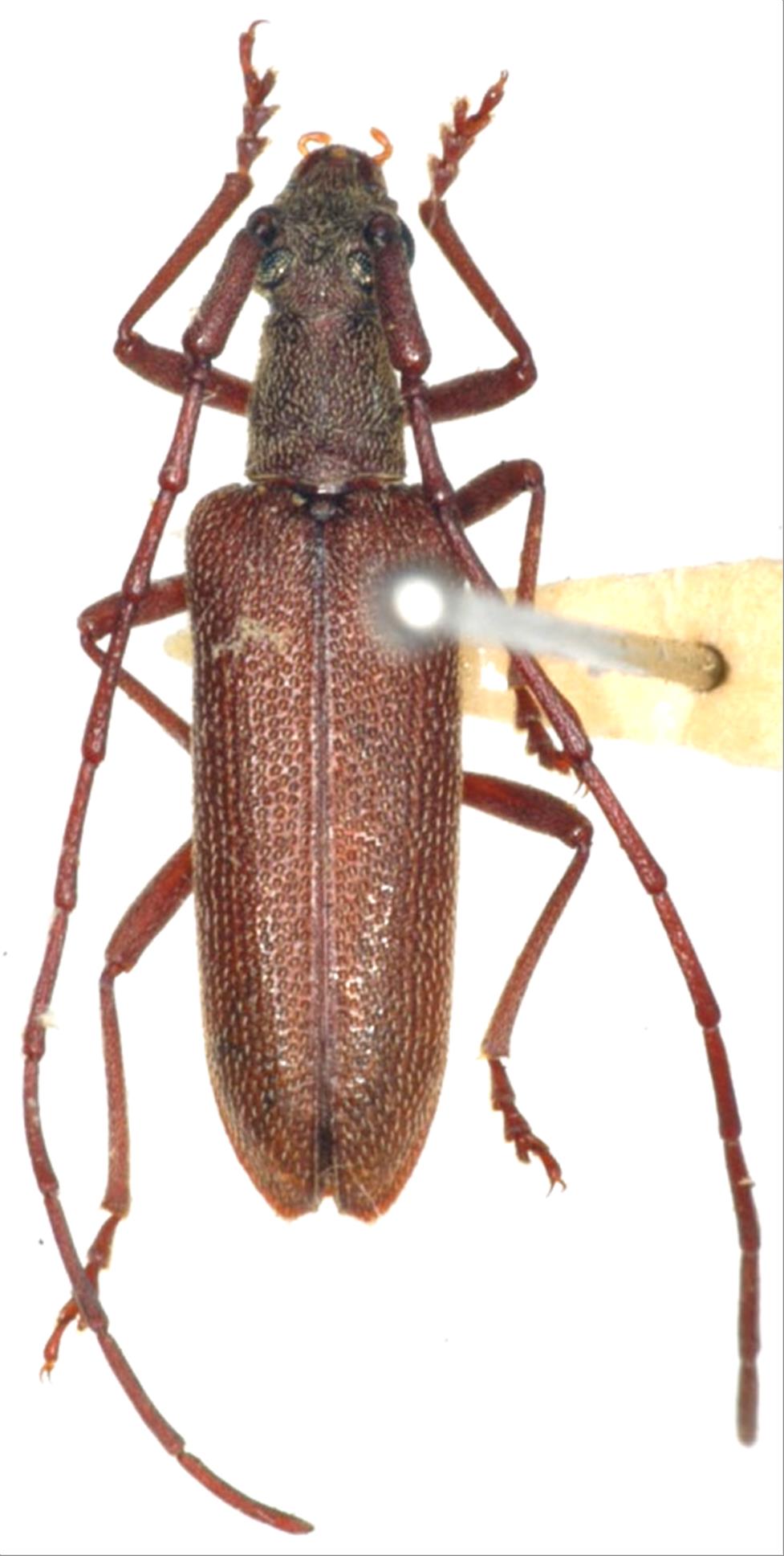
ケブトハナカミキリ
カミキリムシ科
ハナカミキリ亜科


Caraphia lepturoides lepturoides  (Matsushita, 1933)
Cerambycidae
Lepturinae
標本データ
性:オス
体長(mm):11
採集日:1978/05/20
採集地(国):日本
採集地(都道府県):沖縄県
採集地(市町村):国頭村与那覇岳
採集地(詳細):
更新日:2017/08/08



戻る