日本産カミキリムシ

キタセスジヒメハナカミキリ
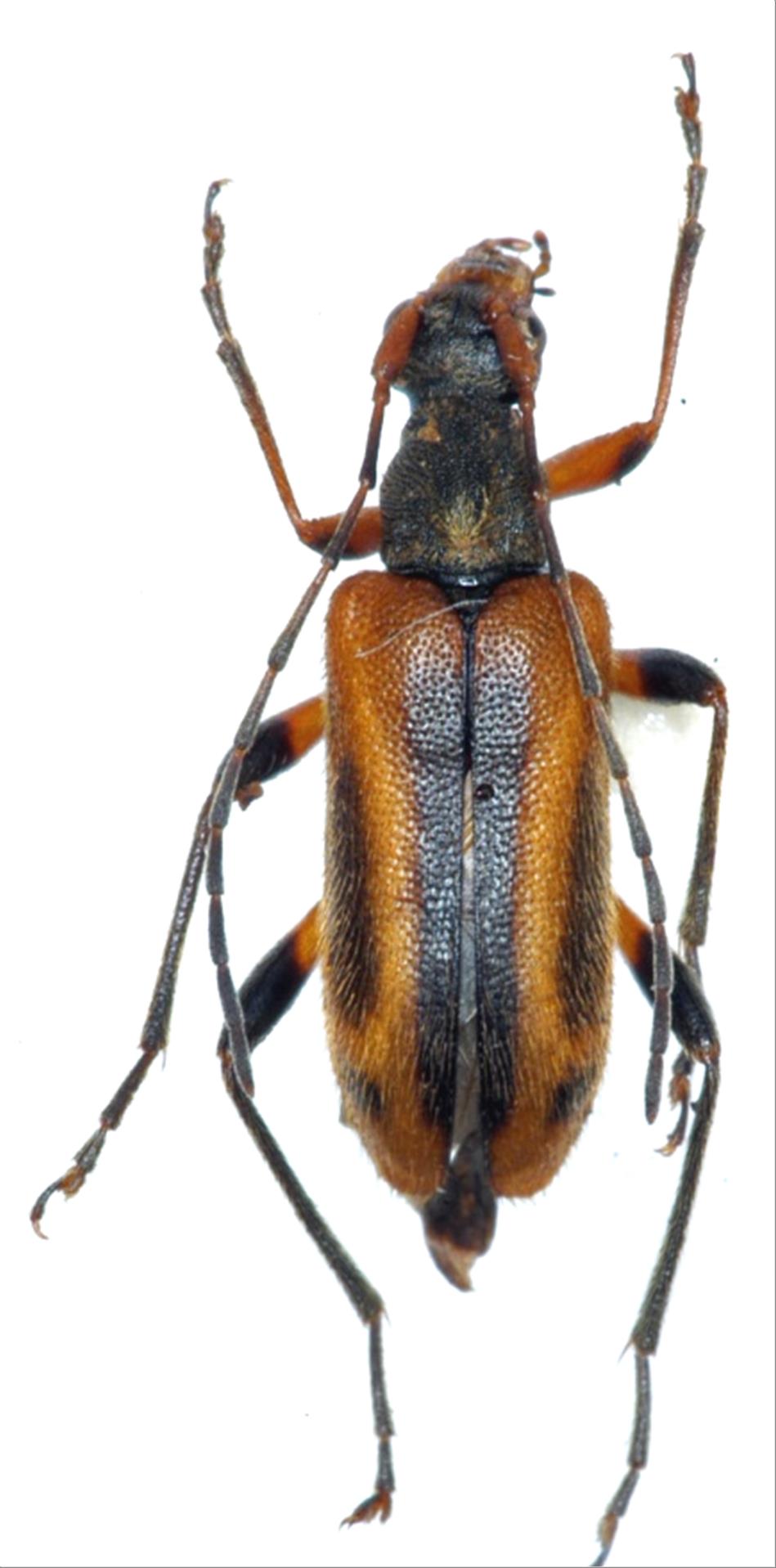
カミキリムシ科
ハナカミキリ亜科


Pidonia amentata kurosawai  K. Ohbayashi et Hayashi, 1960
Cerambycidae
Lepturinae
標本データ
性:メス
体長(mm):9
採集日:1983/07/17
採集地(国):日本
採集地(都道府県):北海道
採集地(市町村):札幌市南区定山渓
採集地(詳細):
更新日:2017/08/08



戻る