日本産カミキリムシ

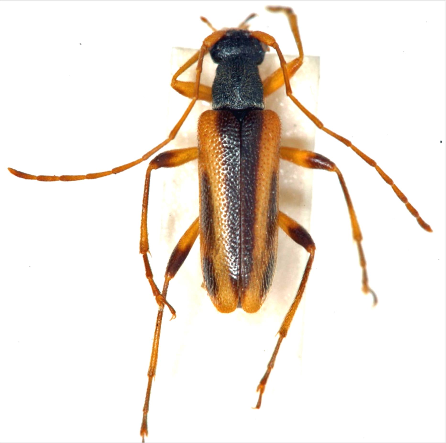
セスジヒメハナカミキリ
カミキリムシ科
ハナカミキリ亜科


Pidonia amentata amentata  (Bates, 1884)
Cerambycidae
Lepturinae
標本データ
性:オス
体長(mm):5
採集日:1972/05/07
採集地(国):日本
採集地(都道府県):京都府
採集地(市町村):京都市左京区花背原地町大非山
採集地(詳細):
更新日:2017/08/08



戻る