Japanese Longicorn Beetles

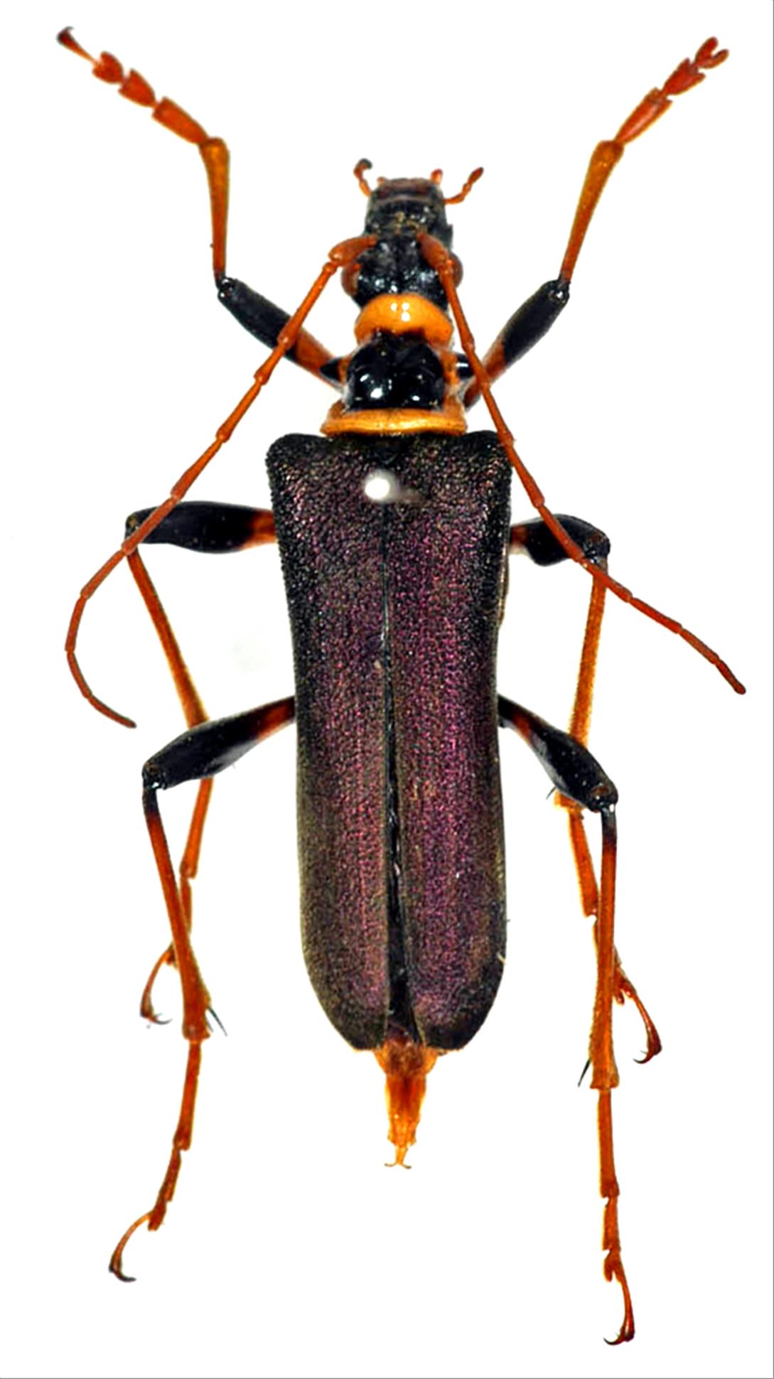
Stenocorus coeruleipennis  (Bates, 1873)
Family:Cerambycidae
Subfamily:Lepturinae
Data of specimen
Sex:female
Body length excl.antennae(mm):24
Date of collection:1978/07/19
Country:Japan
Prefecture:Oita
City/town:Kuju-machi
Detailed locality:Mt.Taisenzan
Longitude ( 131˚16'03.7"E )
Latitude ( 33˚05'27.3"N )
latest update:
2017/08/08



Back