Japanese Longicorn Beetles

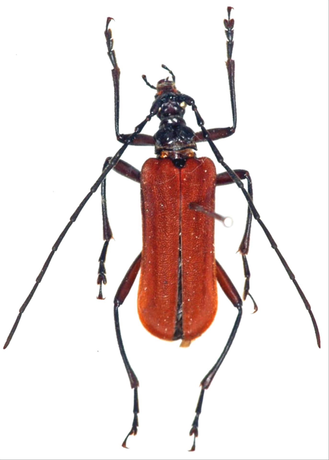
Xenophyrama purpureum  Bates, 1884
Family:Cerambycidae
Subfamily:Lepturinae
Data of specimen
Sex:male
Body length excl.antennae(mm):16
Date of collection:1976/07/26
Country:Japan
Prefecture:Oita
City/town:Takeda-shi
Detailed locality:Mt.Kuju-san
Longitude ( 131˚16'09.7"E )
Latitude ( 33˚06'12.5"N )
latest update:
2017/08/08



Back