Japanese Longicorn Beetles

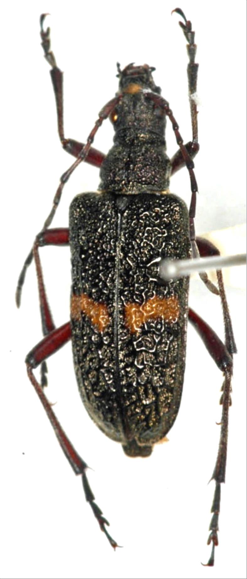
Sachalinobia koltzei  Heyden, 1887
Family:Cerambycidae
Subfamily:Lepturinae
Data of specimen
Sex:female
Body length excl.antennae(mm):16
Date of collection:1984/07/11 〜 1984/07/12
Country:Japan
Prefecture:Tochigi
City/town:Nikko-shi
Detailed locality:
Longitude ( 139˚22'02.4"E )
Latitude ( 36˚52'23.0"N )
latest update:
2017/08/08



Back